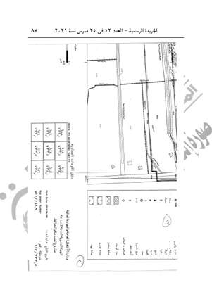
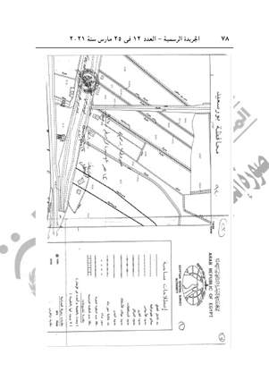
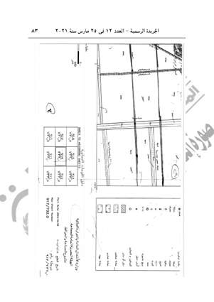
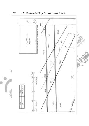
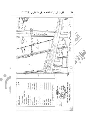
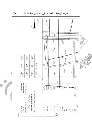
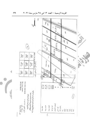
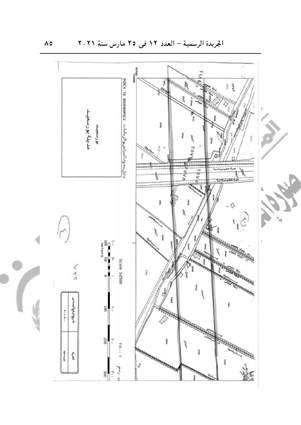
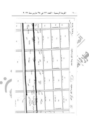
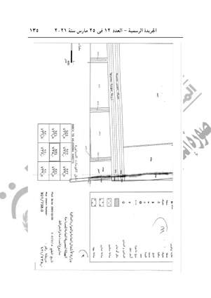
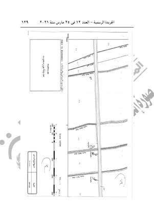
الاستيلاء على الأراضي والعقارات لتنفيذ مشروع نقل مياه مصرف بحر البقر
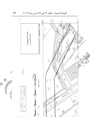
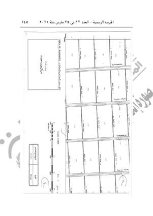
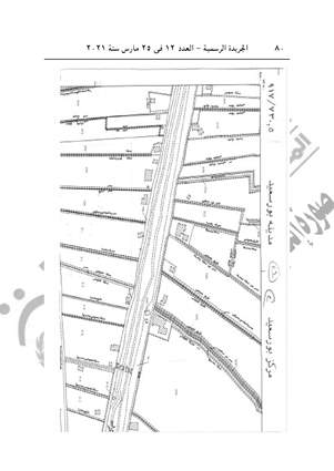
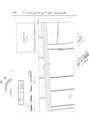
نشرت الجريدة الرسمية في عددها رقم 12، الصادر في 25 مارس 2021، قرار رئيس مجلس الوزراء الدكتور مصطفى مدبولي رقم 325 لسنة 2021، باعتبار مشروع إنشاء المسار الخاص بنقل (5 ملايين متر مكعب في اليوم) من مياه مصرف بحر البقر إلى شرق قناة السويس محافظة بورسعيد، من أعمال المنفعة العامة.
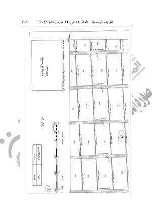
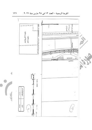
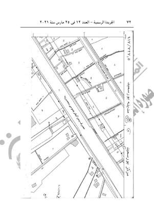
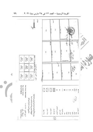
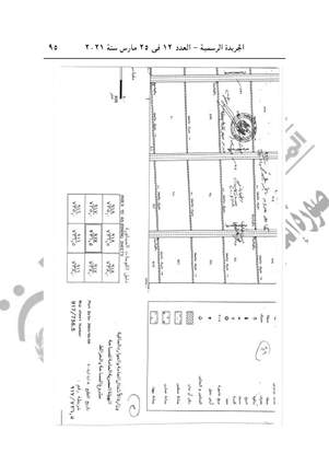
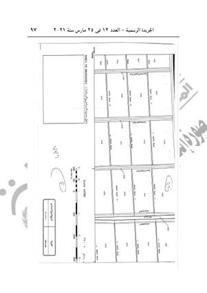
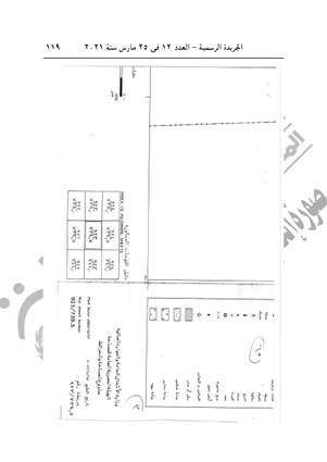
وينص القرار في مادته الأولى على اعتبار مشروع إنشاء المسار الخاص بنقل (5 ملايين متر مكعب في اليوم من مياه مصرف بحر البقر إلى شرق قناة السويس محافظة بورسعيد، على مساحة 338 فدانًا و18 قيراطًا؛ من أعمال المنفعة العامة.
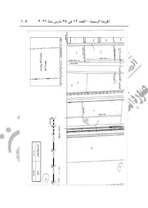
وجاء في المادة الثانية "يستولى بطريق التنفيذ المباشر على الأراضي والعقارات اللازمة لتنفيذ المشروع، والمبين موقعها وحدودها وأسماء ملاكها الظاهرية بالمذكرة والرسم التخطيطي الإجمالي والكشوف.
وينص القرار في مادته الأولى على اعتبار مشروع إنشاء المسار الخاص بنقل (5 ملايين متر مكعب في اليوم من مياه مصرف بحر البقر إلى شرق قناة السويس محافظة بورسعيد، على مساحة 338 فدانًا و18 قيراطًا؛ من أعمال المنفعة العامة.
وجاء في المادة الثانية "يستولى بطريق التنفيذ المباشر على الأراضي والعقارات اللازمة لتنفيذ المشروع، والمبين موقعها وحدودها وأسماء ملاكها الظاهرية بالمذكرة والرسم التخطيطي الإجمالي والكشوف.
اظهار ألبوم
