اعتبار محطة صرف صحي وإنشاء الطريق الدائري بالمنوفية والشرقية منفعة عامة
نشرت الجريدة الرسمية في عددها رقم 47، الصادر في 19 نوفمبر 2020، 3 قرارات لرئيس الوزراء الدكتور مصطفى مدبولي باعتبار محطة معالجة الصرف الصحي بناحية دراجيل مركز الشهداء محافظة المنوفية ومشروع إنشاء الطريق الدائري حول مدينة فاقوس بمحافظة الشرقية من أعمال المنفعة العامة.
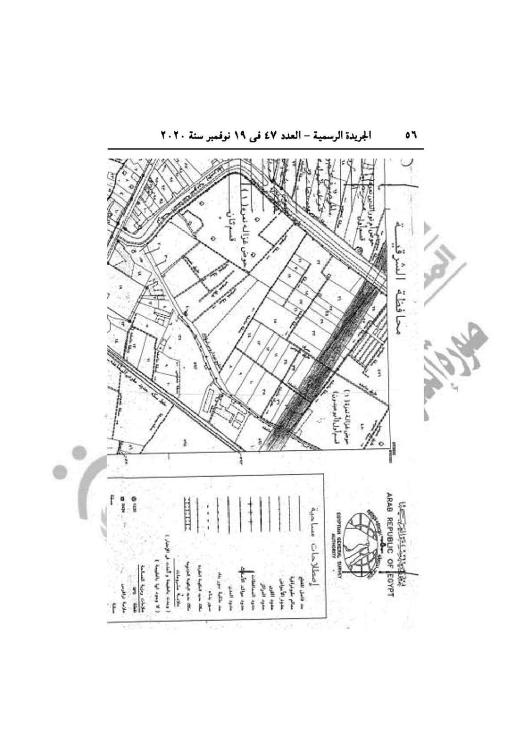
القرار رقم 2276 لسنة 2020، باعتبار محطة معالجة الصرف الصحي بناحية دراجيل مركز الشهداء محافظة المنوفية من أعمال المنفعة العامة.
والقرار رقم 2278 لسنة 2020، باستبدال كشوف الملاك الظاهرين المرفقة بقرار رئيس مجلس الوزراء رقم 2123 لسنة 2019 كشوف الملاك الظاهرين بهذا القرار.
والقرار رقم 2279 لسنة 2020 باعتبار مشروع إنشاء الطريق الدائري حول مدينة فاقوس بمحافظة الشرقية من أعمال المنفعة العامة.











































القرار رقم 2276 لسنة 2020، باعتبار محطة معالجة الصرف الصحي بناحية دراجيل مركز الشهداء محافظة المنوفية من أعمال المنفعة العامة.
والقرار رقم 2278 لسنة 2020، باستبدال كشوف الملاك الظاهرين المرفقة بقرار رئيس مجلس الوزراء رقم 2123 لسنة 2019 كشوف الملاك الظاهرين بهذا القرار.
والقرار رقم 2279 لسنة 2020 باعتبار مشروع إنشاء الطريق الدائري حول مدينة فاقوس بمحافظة الشرقية من أعمال المنفعة العامة.











































