الجريدة الرسمية تنشر قرار رئيس مجلس الوزراء اليوم
نشرت الجريدة الرسمية في عددها رقم 18، الصادر في 6 مايو 2021، قرار رئيس مجلس الوزراء الدكتور مصطفى مدبولي رقم 667 لسنة 2021، بشأن اعتبار مشروع إنشاء كوبري كفر الدوار العلوي على طريق القاهرة/ الإسكندرية الزراعي منفعة عامة.
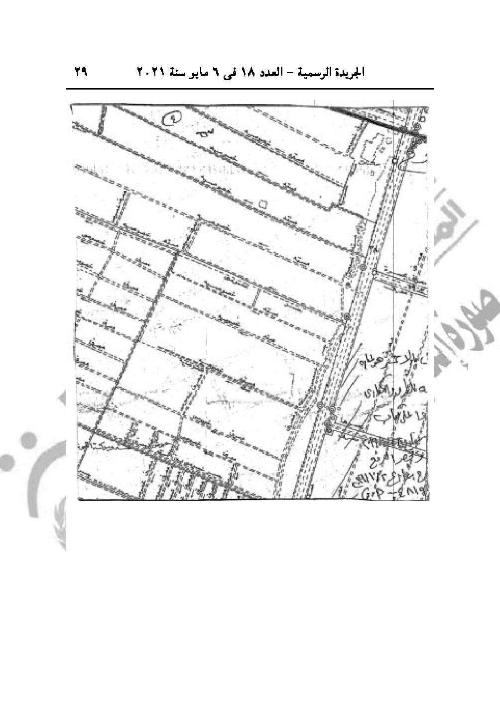
وينص القرار في مادته الأولى على اعتبار مشروع إنشاء كوبري كفر الدوار العلوي على طريق القاهرة/ الإسكندرية الزراعي، في نطاق محافظة البحيرة من أعمال المنفعة العامة.




















وجاء في المادة الثانية: "يستولى بطريق التنفيذ المباشر على الأراضي اللازمة لتنفيذ المشروع، والمبين موقعها وحدودها وأسماء ملاكها الظاهرين بالمذكرة والرسم التخطيطي الإجمالي".
وينص القرار في مادته الأولى على اعتبار مشروع إنشاء كوبري كفر الدوار العلوي على طريق القاهرة/ الإسكندرية الزراعي، في نطاق محافظة البحيرة من أعمال المنفعة العامة.




















وجاء في المادة الثانية: "يستولى بطريق التنفيذ المباشر على الأراضي اللازمة لتنفيذ المشروع، والمبين موقعها وحدودها وأسماء ملاكها الظاهرين بالمذكرة والرسم التخطيطي الإجمالي".
