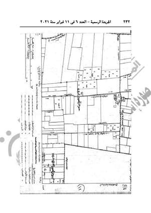
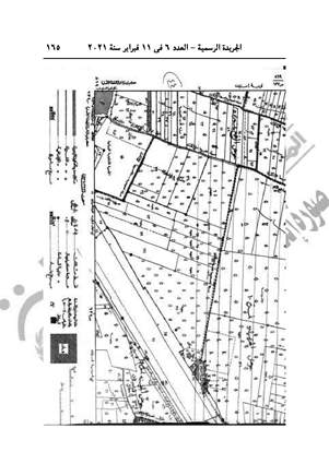
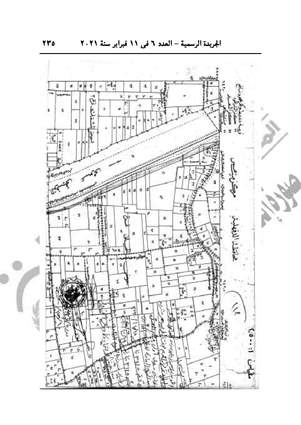
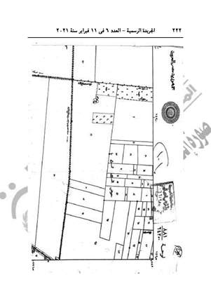
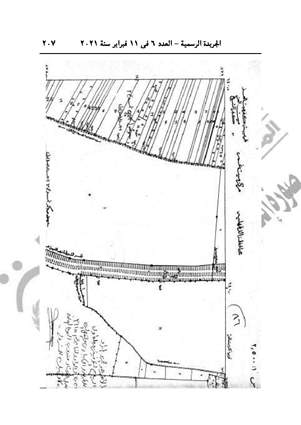
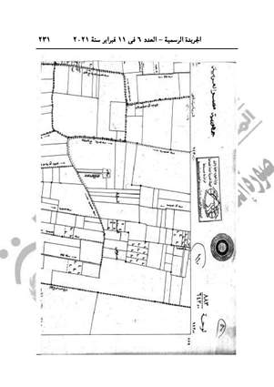
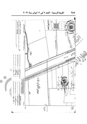
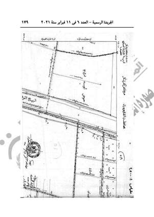
اعتبار مشروعى محطة صرف صحي ومحور الرياح التوفيقي منفعة عامة
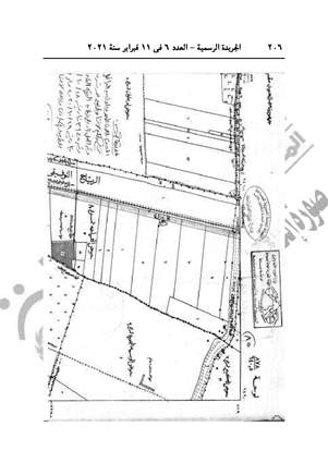
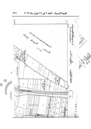
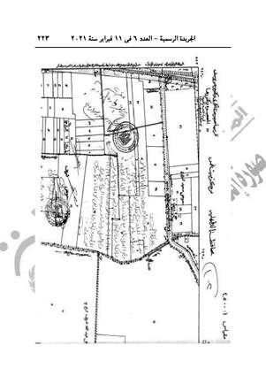
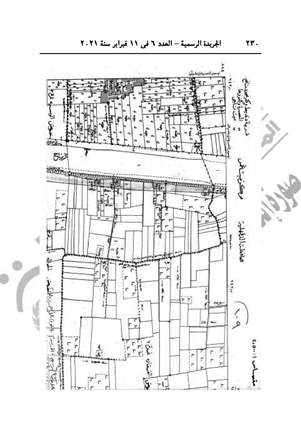
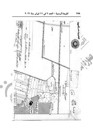
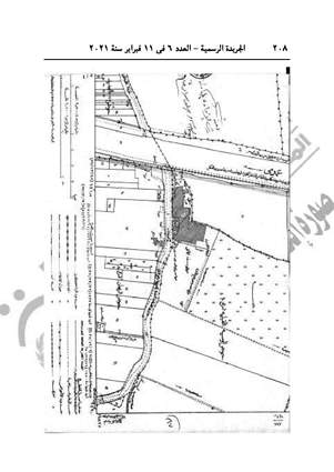
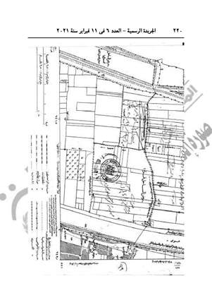
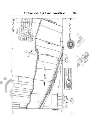
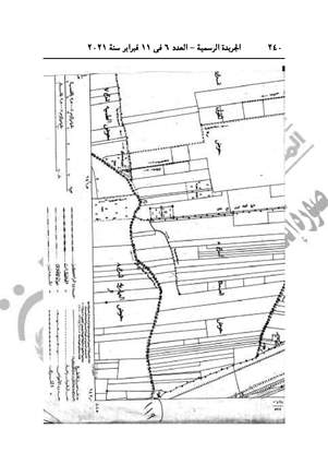
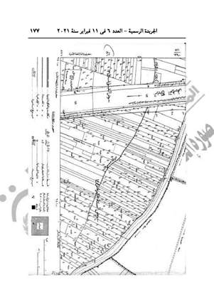
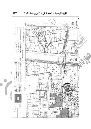
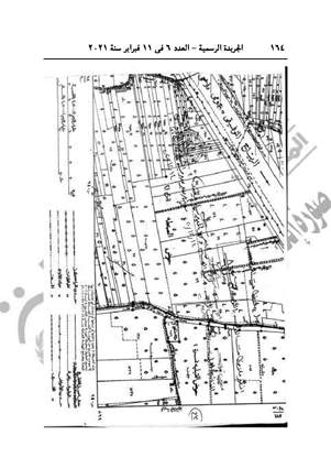
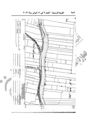
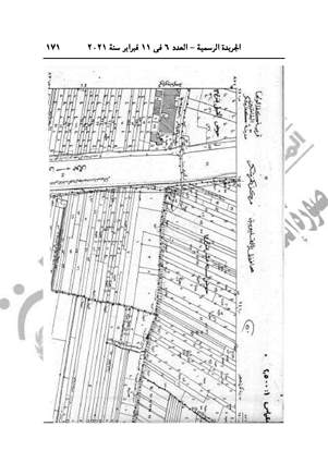
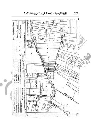
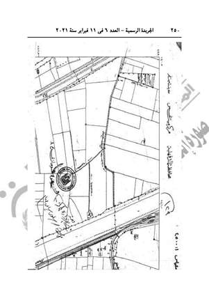
نشرت الجريدة الرسمية في عددها رقم 6، الصادر في 11 فبراير 2021، قرارى رئيس مجلس الوزراء الدكتور مصطفى مدبولي، باعتبار مشروع محطة رفع الصرف الصحي بمنشأة الكرام بالقليوبية، و مشروع إنشاء محور حي شرق الرياح التوفيقي في المسافة من بنها حتي ميت غمر من أعمال المنفعة العامة.
القرار رقم 137 لسنة 2021 باعتبار مشروع محطة رفع الصرف الصحي بمنشأة الكرام (حوض الغفارة)، مركز شبين القناطر محافظة القليوبية، لصالح الجهاز التنفيذي لمياة الشرب والصرف الصحي، من أعمال المنفعة العامة.
والقرار رقم 138 لسنة 2021 باعتبار مشروع إنشاء محور حي شرق الرياح التوفيقي في المسافة من بنها حتي ميت غمر في نطاق محافظتي القليوبية والدقهلية، لصالح الهيئة العامة للطرق والكباري والنقل البري، من أعمال المنفعة العامة.
القرار رقم 137 لسنة 2021 باعتبار مشروع محطة رفع الصرف الصحي بمنشأة الكرام (حوض الغفارة)، مركز شبين القناطر محافظة القليوبية، لصالح الجهاز التنفيذي لمياة الشرب والصرف الصحي، من أعمال المنفعة العامة.
والقرار رقم 138 لسنة 2021 باعتبار مشروع إنشاء محور حي شرق الرياح التوفيقي في المسافة من بنها حتي ميت غمر في نطاق محافظتي القليوبية والدقهلية، لصالح الهيئة العامة للطرق والكباري والنقل البري، من أعمال المنفعة العامة.
اظهار ألبوم ليست
