الإسكان تعتمد تخطيط 60 فدانا لإقامة مشروع عمراني بالمنصورة الجديدة
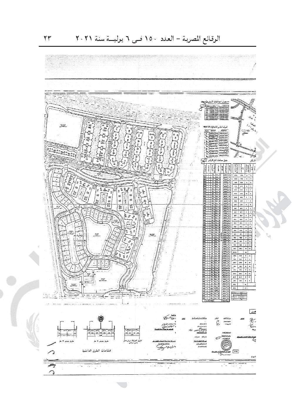
نشرت جريدة الوقائع المصرية في عددها رقم 150، الصادر في 6 يوليو 2021، قرار وزارة الإسكان والمرافق والمجتمعات العمرانية رقم 143 لسنة 2021، بشأن اعتماد تخطيط وتقسيم قطعة الأرض رقم (3) بمساحة 60 فدانًا المخصصة لشركة الصفوة للتطوير العمرانى، لإقامة مشروع (80٪) عمرانى متكامل، (20٪) أنشطة استثمارية مختلطة بمدينة المنصورة الجديدة.
وينص القرار في مادته الأولى على اعتماد تخطيط وتقسيم قطعة الأرض رقم (3) بمساحة 60 فدانًا، بما يعادل 252049 متر مربع، المخصصة لشركة الصفوة للتطوير العمرانى لإقامة مشروع (80٪) عمرانى متكامل- (20٪) أنشطة استثمارية مختلطة بمدينة المنصورة الجديدة، وذلك طبقًا للحدود الموضحة على الخريطة والعقد المبرم مع الشركة بتاريخ 18/8/2019.





















وجاء في المادة 3 بالقرار "تلتزم الشركة بالتعهد الموقع منها بأن منطقة الخدمات عدا منطقة الأنشطة الاستثمارية المختلطة بالمشروع لخدمة قاطني المشروع فقط. وفي حالة التخديم من الخارج يتم إعادة تسعير منطقة الخدمات بواسطة اللجان المختصة بالهيئة".
وينص القرار في مادته الأولى على اعتماد تخطيط وتقسيم قطعة الأرض رقم (3) بمساحة 60 فدانًا، بما يعادل 252049 متر مربع، المخصصة لشركة الصفوة للتطوير العمرانى لإقامة مشروع (80٪) عمرانى متكامل- (20٪) أنشطة استثمارية مختلطة بمدينة المنصورة الجديدة، وذلك طبقًا للحدود الموضحة على الخريطة والعقد المبرم مع الشركة بتاريخ 18/8/2019.





















وجاء في المادة 3 بالقرار "تلتزم الشركة بالتعهد الموقع منها بأن منطقة الخدمات عدا منطقة الأنشطة الاستثمارية المختلطة بالمشروع لخدمة قاطني المشروع فقط. وفي حالة التخديم من الخارج يتم إعادة تسعير منطقة الخدمات بواسطة اللجان المختصة بالهيئة".
