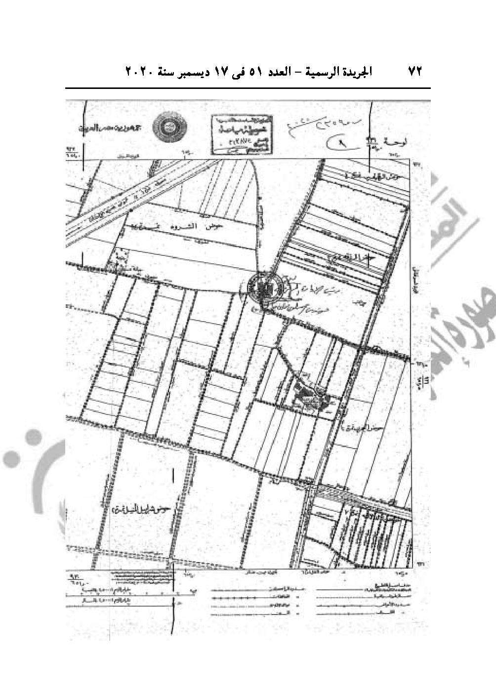
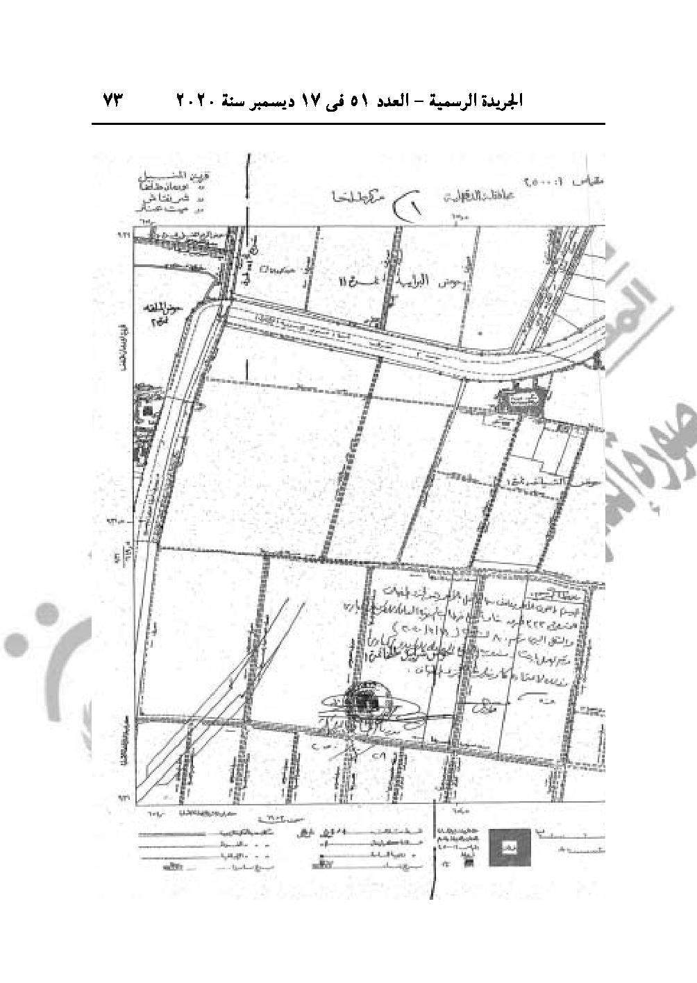
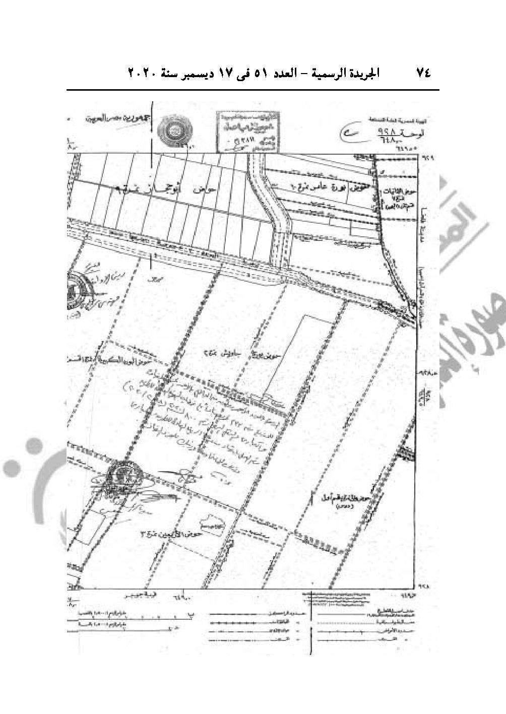
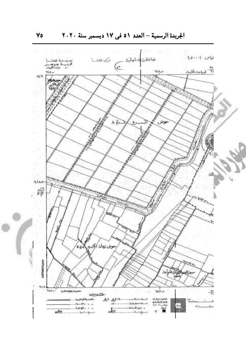
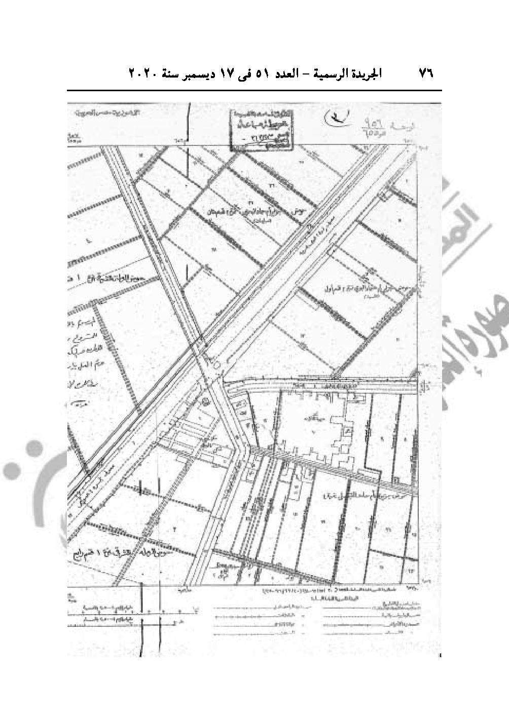
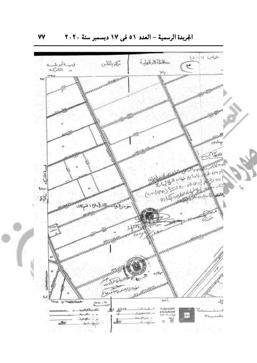
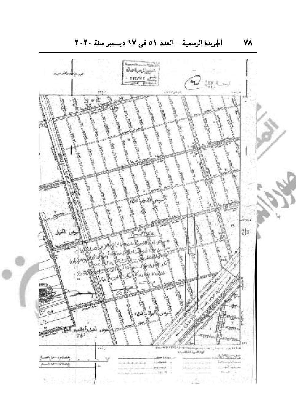
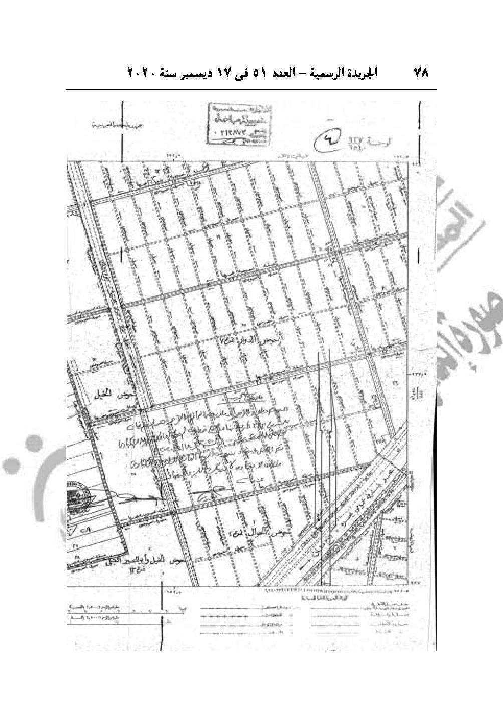
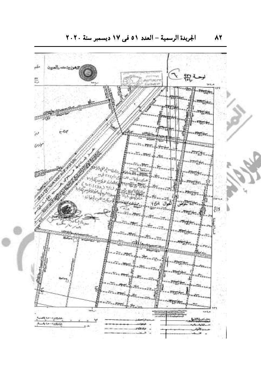
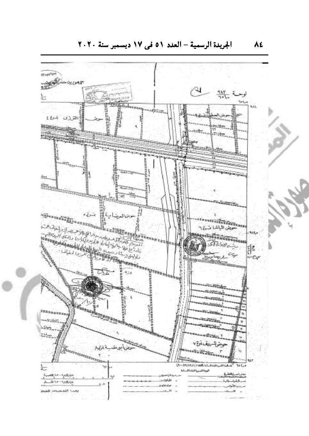
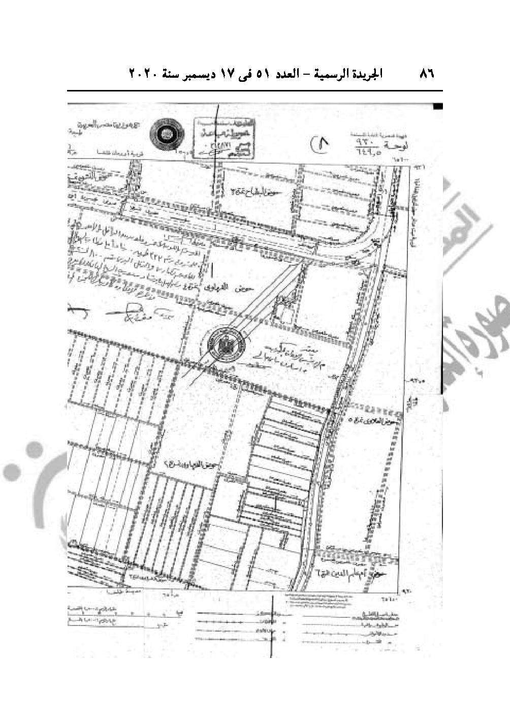
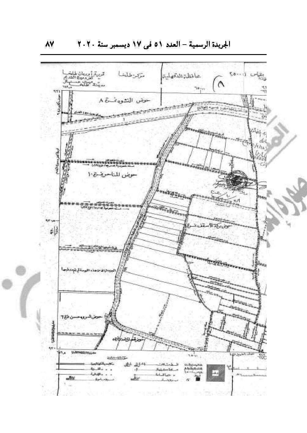
"مدبولي" يعتبر إنشاء حارة ثالثة لطريق جمصة ودورانات الكباري منفعة عامة
نشرت الجريدة الرسمية في عددها رقم 51، الصادر في 17 ديسمبر 2020، قرار رئيس مجلس الوزارء الدكتور مصطفى مدبولي رقم 2359 لسنة 2020، بشأن اعتبار مشروع تطوير ورفع كفاءة وإنشاء حارة ثالثة لطريق رافد جمصة وإنشاء دورانات للخلف أسفل الكباري العلوية من أعمال المنفعة العامة.
وينص القرار على اعتبار مشروع تطوير ورفع كفاءة وإنشاء حارة ثالثة لطريق رافد جمصة بطول 50 كيلومترًا وإنشاء دورانات للخلف أسفل الكباري العلوية من أعمال المنفعة العامة.



























وينص القرار على اعتبار مشروع تطوير ورفع كفاءة وإنشاء حارة ثالثة لطريق رافد جمصة بطول 50 كيلومترًا وإنشاء دورانات للخلف أسفل الكباري العلوية من أعمال المنفعة العامة.



























