اعتبار مشروعي كوبري القناطر الخيرية وتوسيع المرج الغربي منفعة عامة
نشرت الجريدة الرسمية في عددها رقم 9، الصادر في 4 مارس 2021، قرارى رئيس مجلس الوزراء الدكتور مصطفى مدبولي باعتبار مشروعى إنشاء كوبري القناطر الخيرية المعدني الجديد على النيل، و تطوير وتوسيع شارع المرج الغربي بنطاق محافظة القاهرة؛ من أعمال المنفعة العامة.
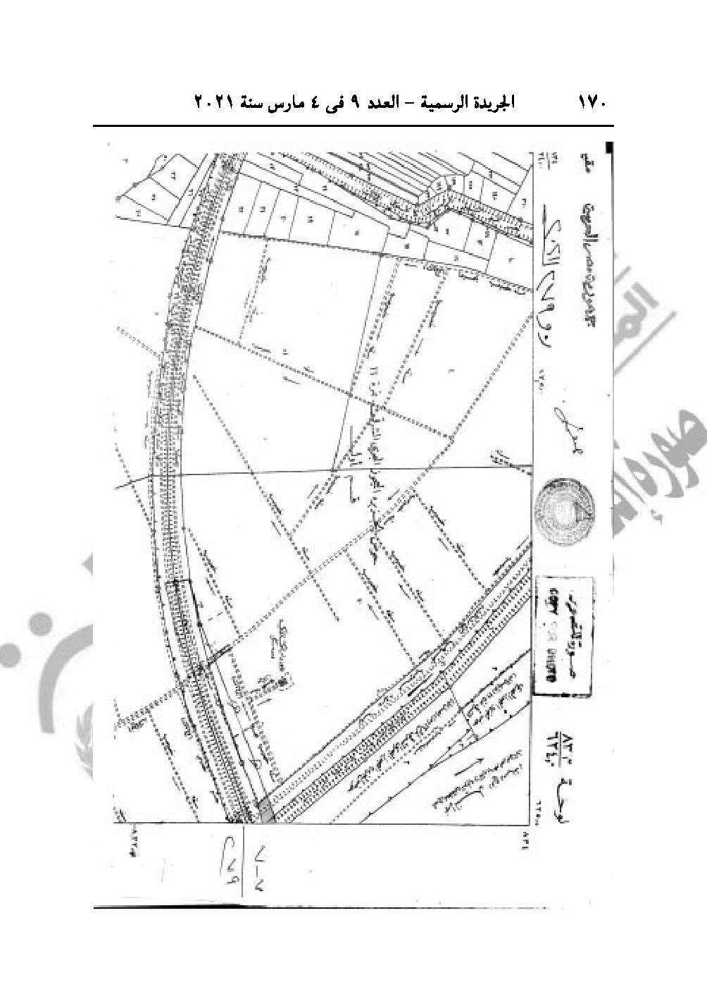
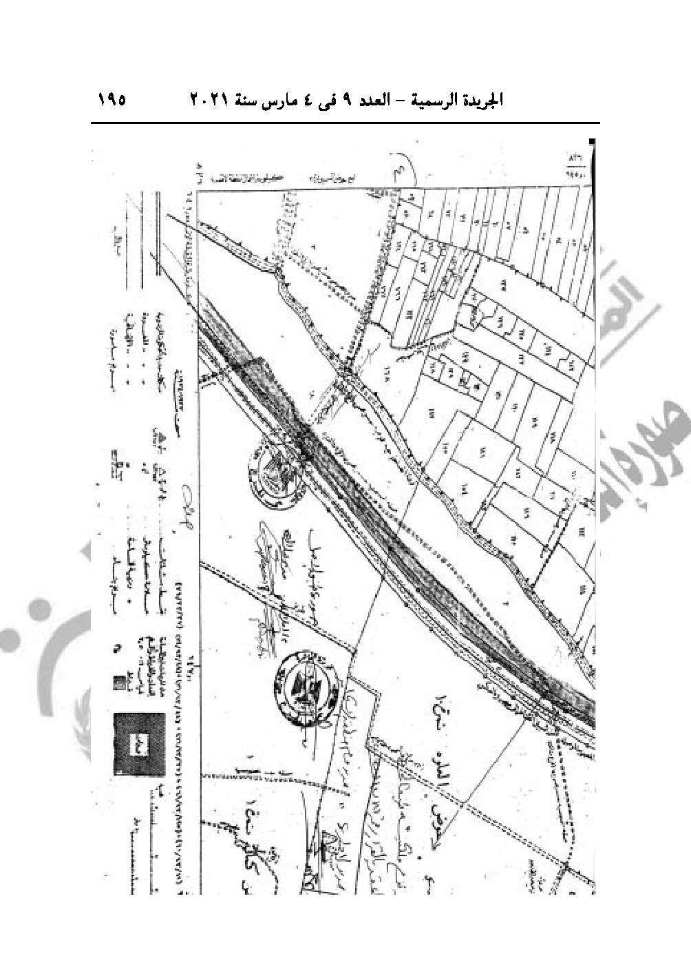
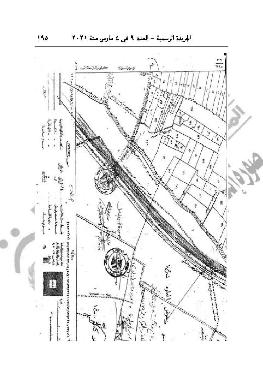
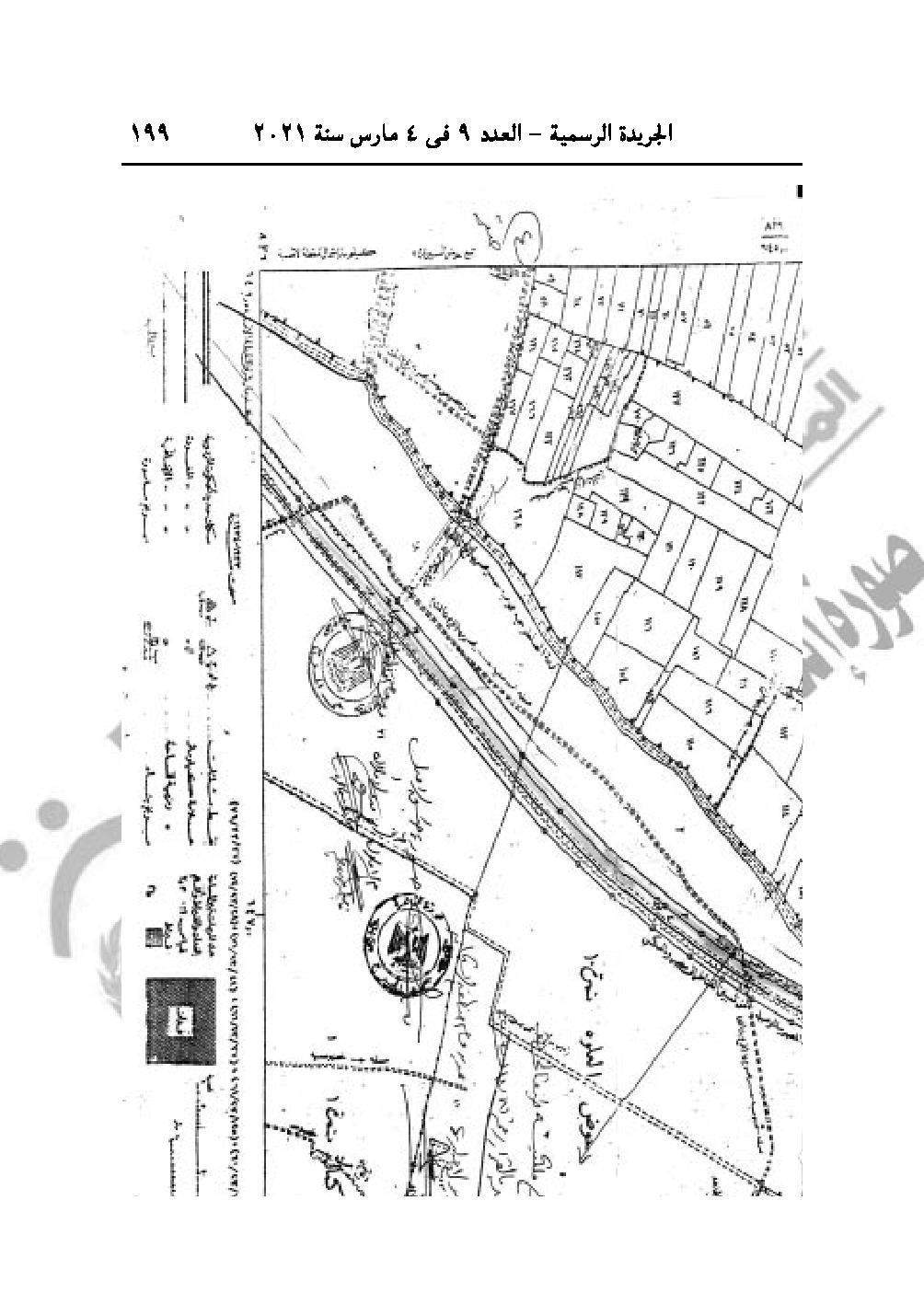
القرار رقم 279 لسنة 2021 باعتبار مشروع إنشاء كوبري القناطر الخيرية المعدني الجديد على النيل بخط سكة حديد (قليوب- منوف- طنطا) في نطاق محافظتي القليوبية والمنوفية من أعمال المنفعة العامة.








































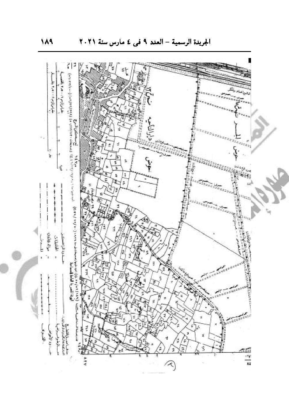
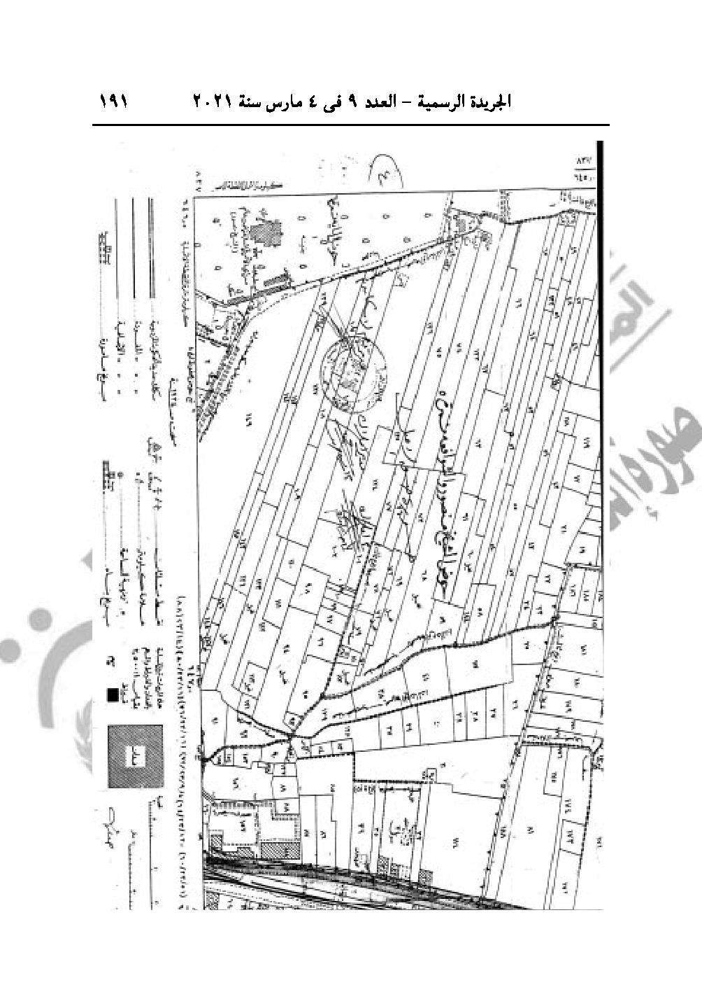
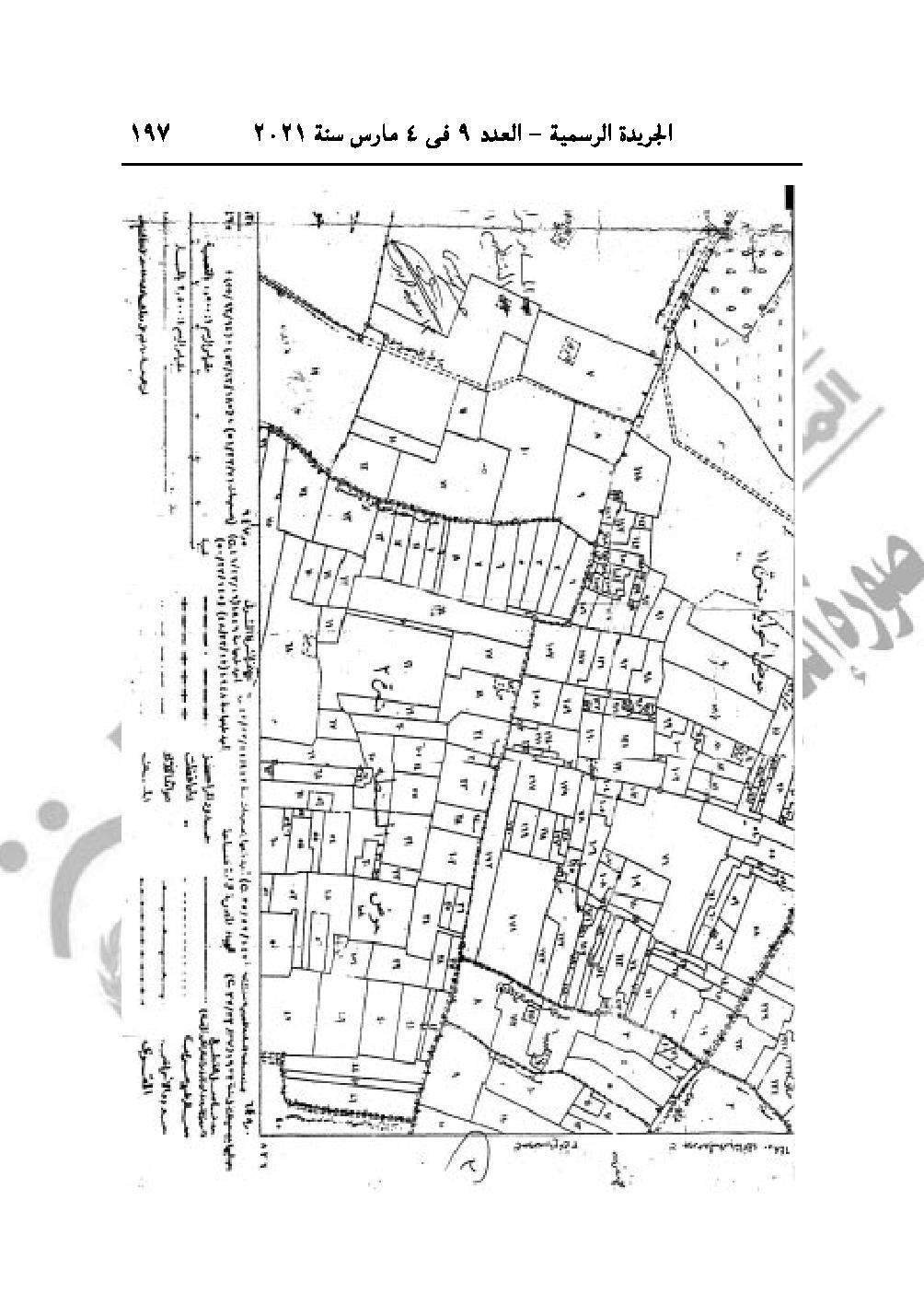
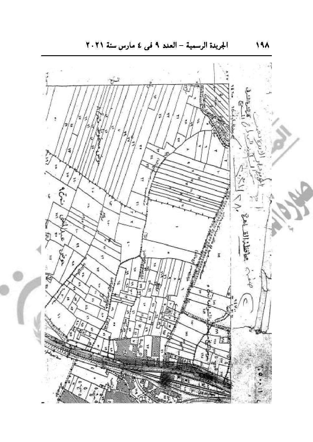
والقرار رقم 280 لسنة 2021 باعتبارمشروع تطوير وتوسيع شارع المرج الغربي بنطاق محافظة القاهرة، والذي يبدأ من محطة المرج الجديدة مرورًا بمحطة المرج وينتهي بالقرب من محطة عزبة النخل من أعمال المنفعة العامة.
القرار رقم 279 لسنة 2021 باعتبار مشروع إنشاء كوبري القناطر الخيرية المعدني الجديد على النيل بخط سكة حديد (قليوب- منوف- طنطا) في نطاق محافظتي القليوبية والمنوفية من أعمال المنفعة العامة.








































والقرار رقم 280 لسنة 2021 باعتبارمشروع تطوير وتوسيع شارع المرج الغربي بنطاق محافظة القاهرة، والذي يبدأ من محطة المرج الجديدة مرورًا بمحطة المرج وينتهي بالقرب من محطة عزبة النخل من أعمال المنفعة العامة.
