منها إسقاط جنسية والاستيلاء على أراض وعقارات، 3 قرارات جديدة اليوم لرئيس الوزراء
نشرت الجريدة الرسمية في عددها رقم 42، الصادر في 16 أكتوبر 2025، 3 قرارات جديدة لمجلس الوزراء ورئيس مجلس الوزراء الدكتور مصطفى مدبولي، بشأن إسقاط جنسية مصري، والاستيلاء على أراضي وعقارات لتنفيذ مشروع إزدواج خط سكة حديد المنصورة- دمياط، ونقل تبعية مركز تدريب ميت غمر التابع لجهاز التدريب الإنتاجى على حرف التشييد والبناء لوزارة الإسكان إلى وزارة التعليم.
وجاءت القرارات كالتالي:
-قرار مجلس الوزراء رقم 61 لسنة 2025، بالموافقة على إسقاط الجنسية المصرية عن سمير توكل السيد محمد الجزار، من مواليد الغربية، وذلك لالتحاقه بالخدمة العسكرية بدولة أجنبية دون الحصول على ترخيص سابق.
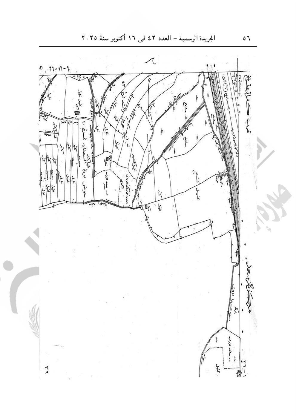
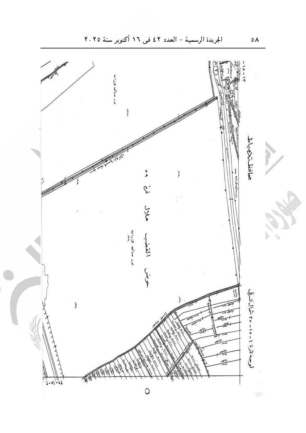
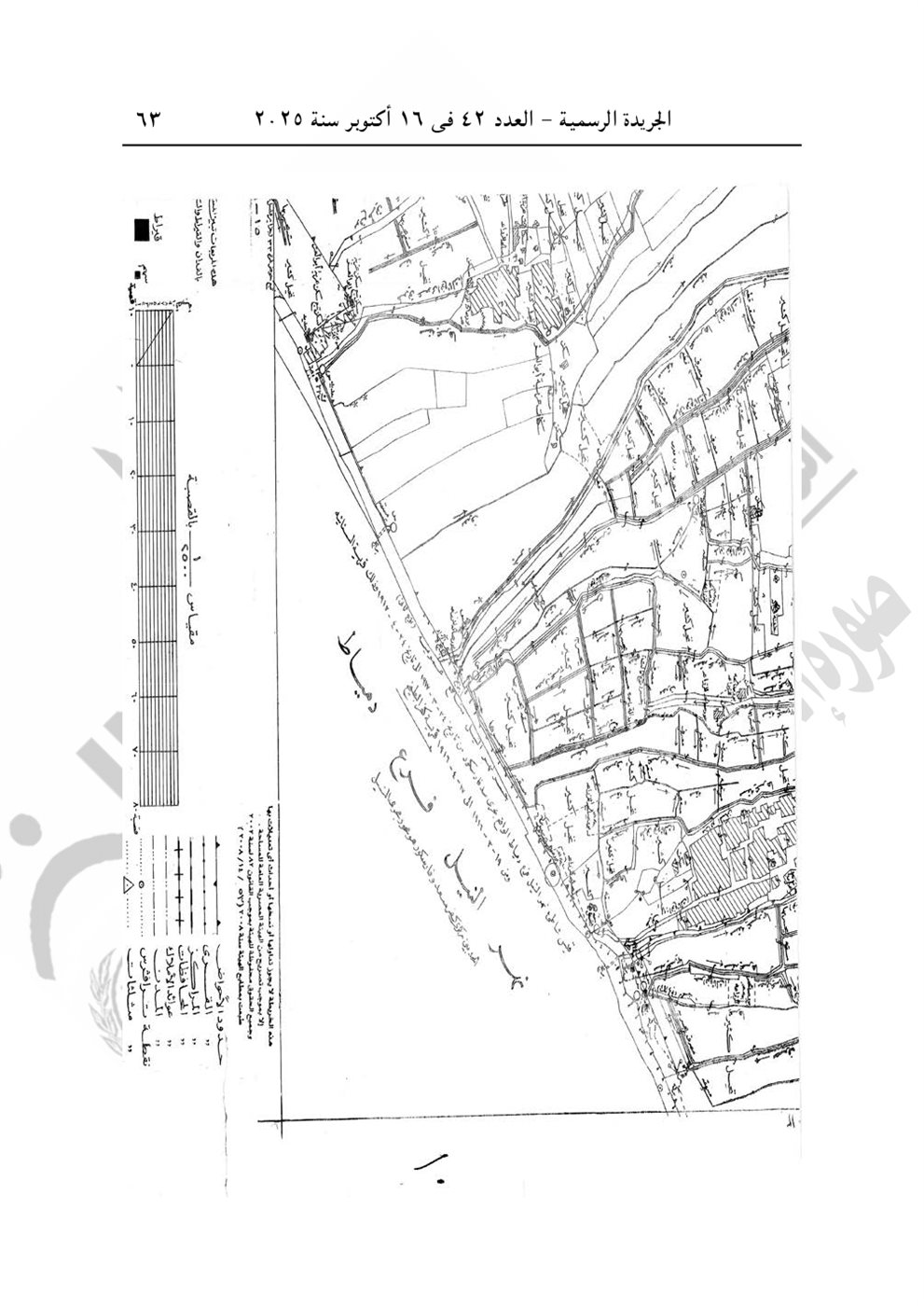
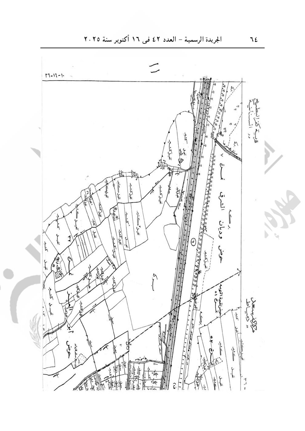
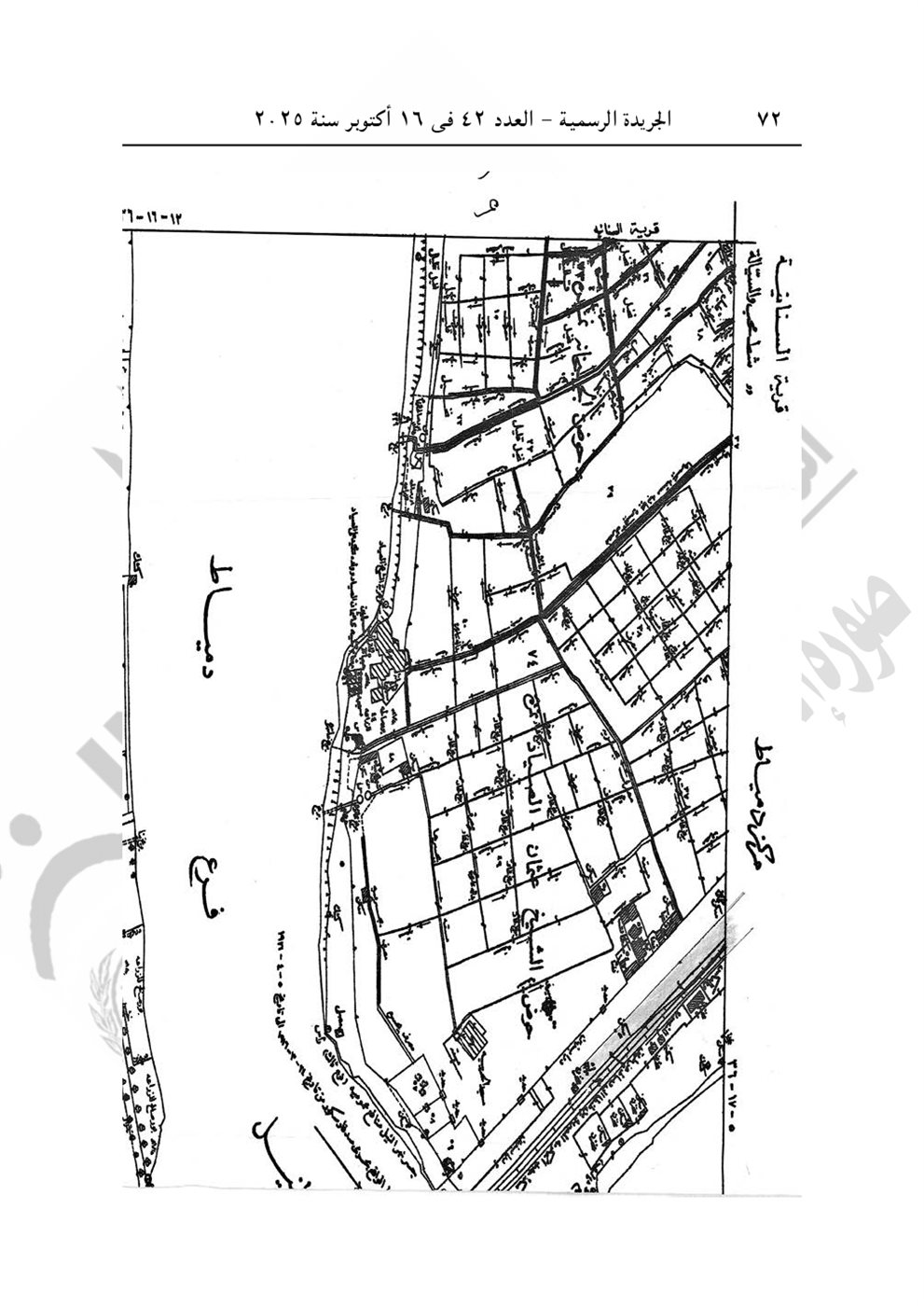
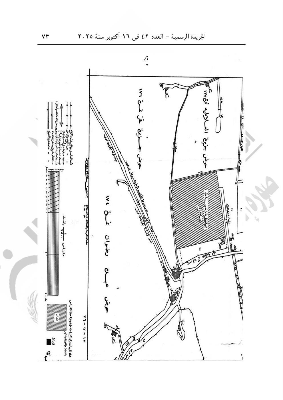
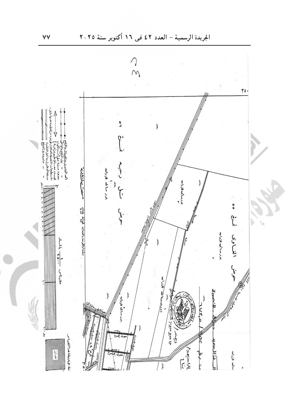
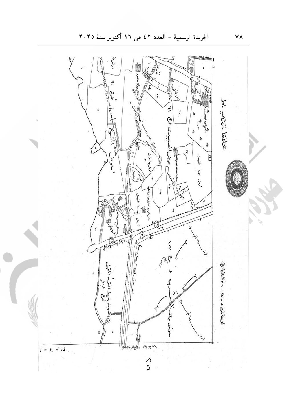
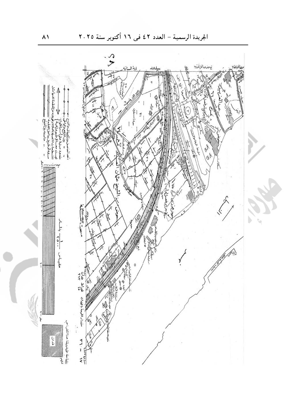
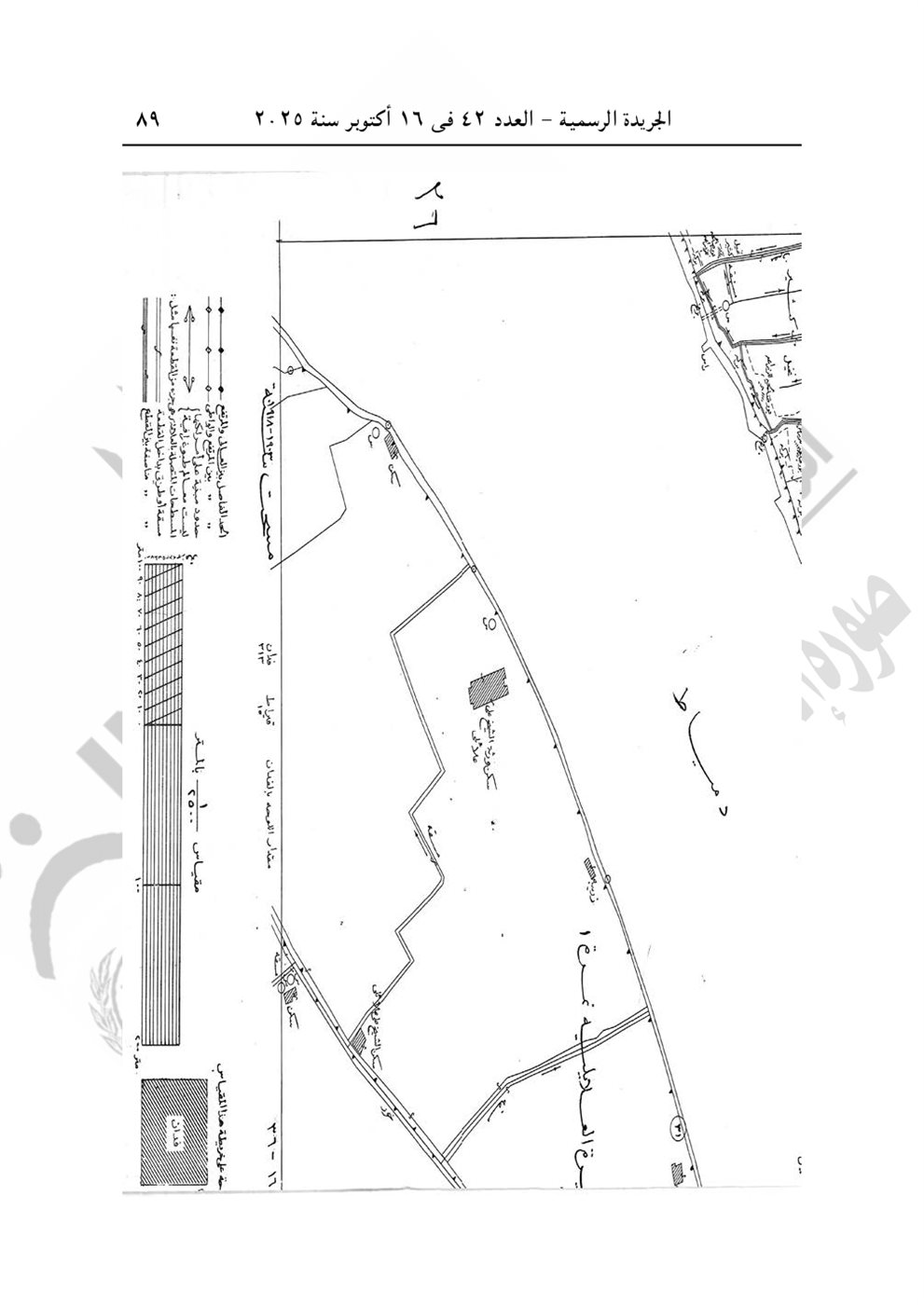
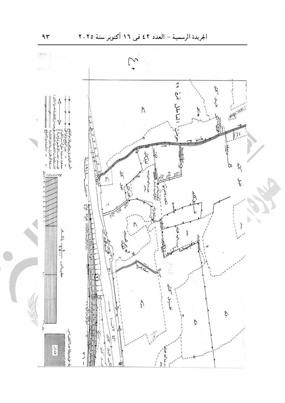
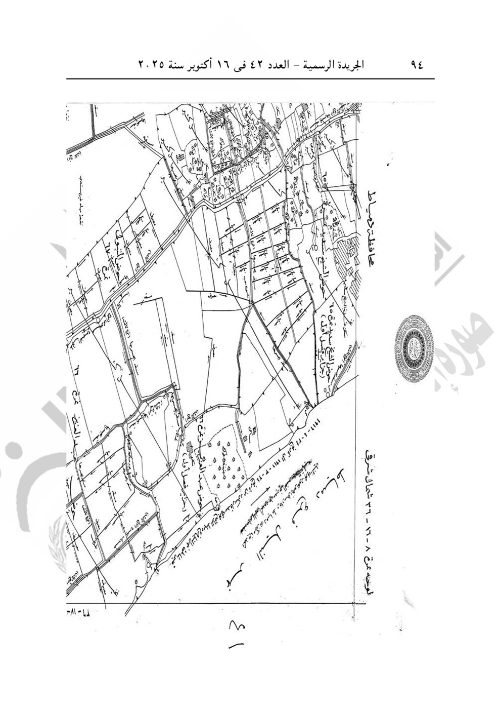
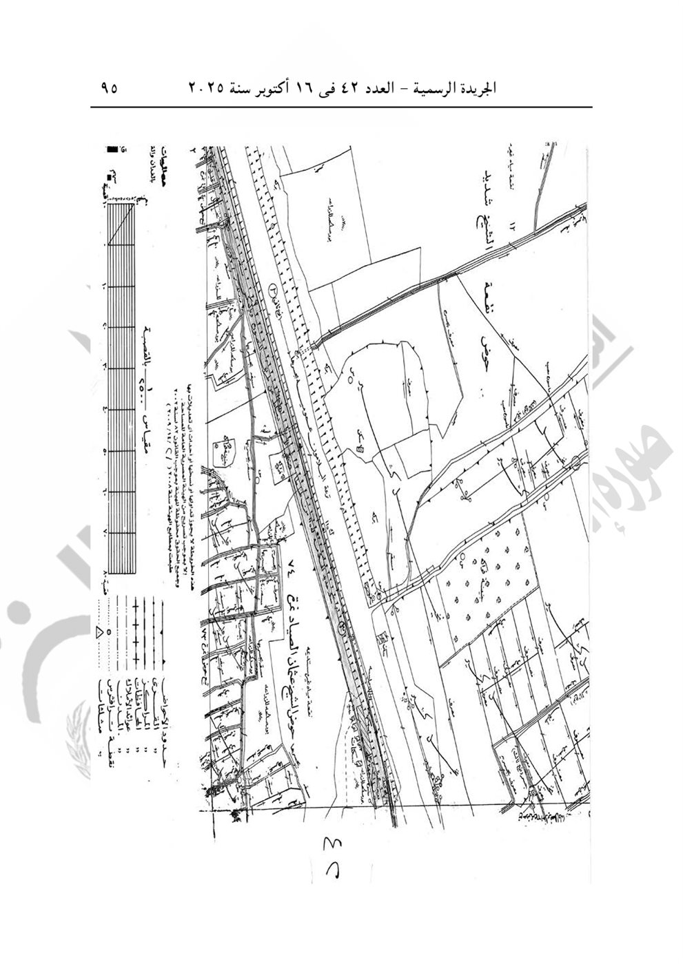
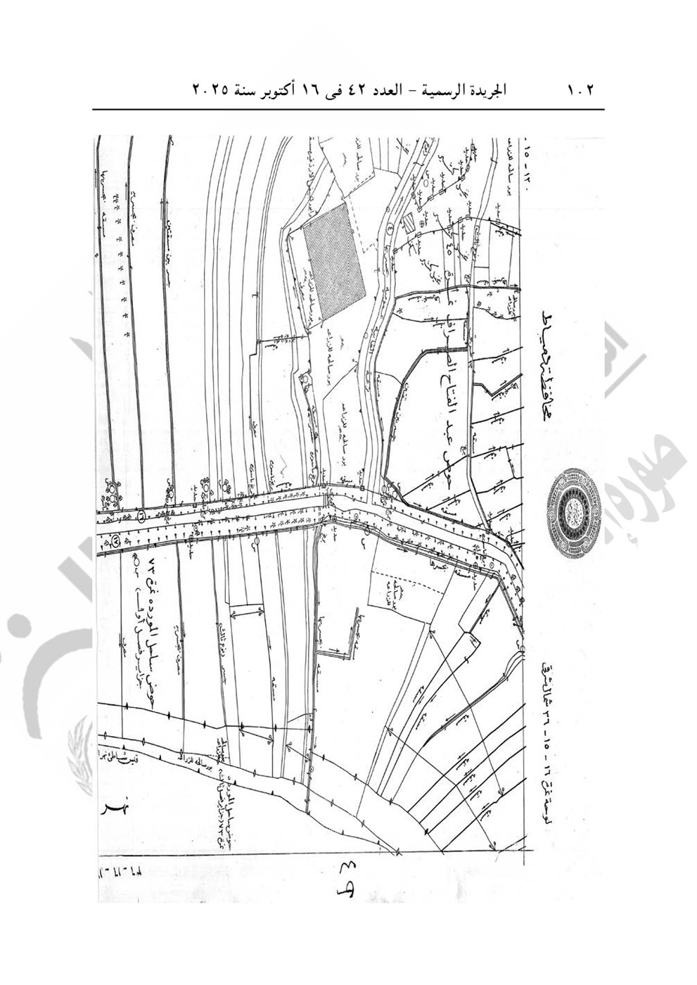
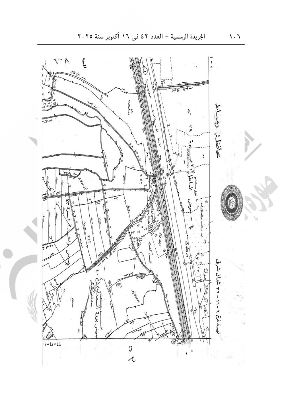
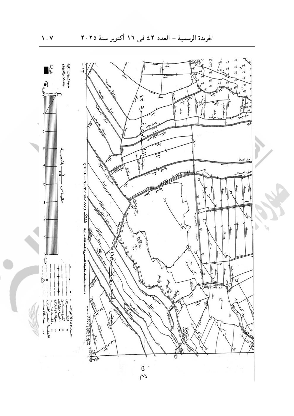
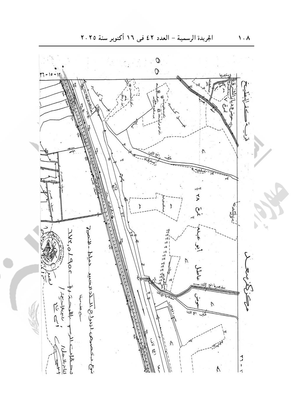
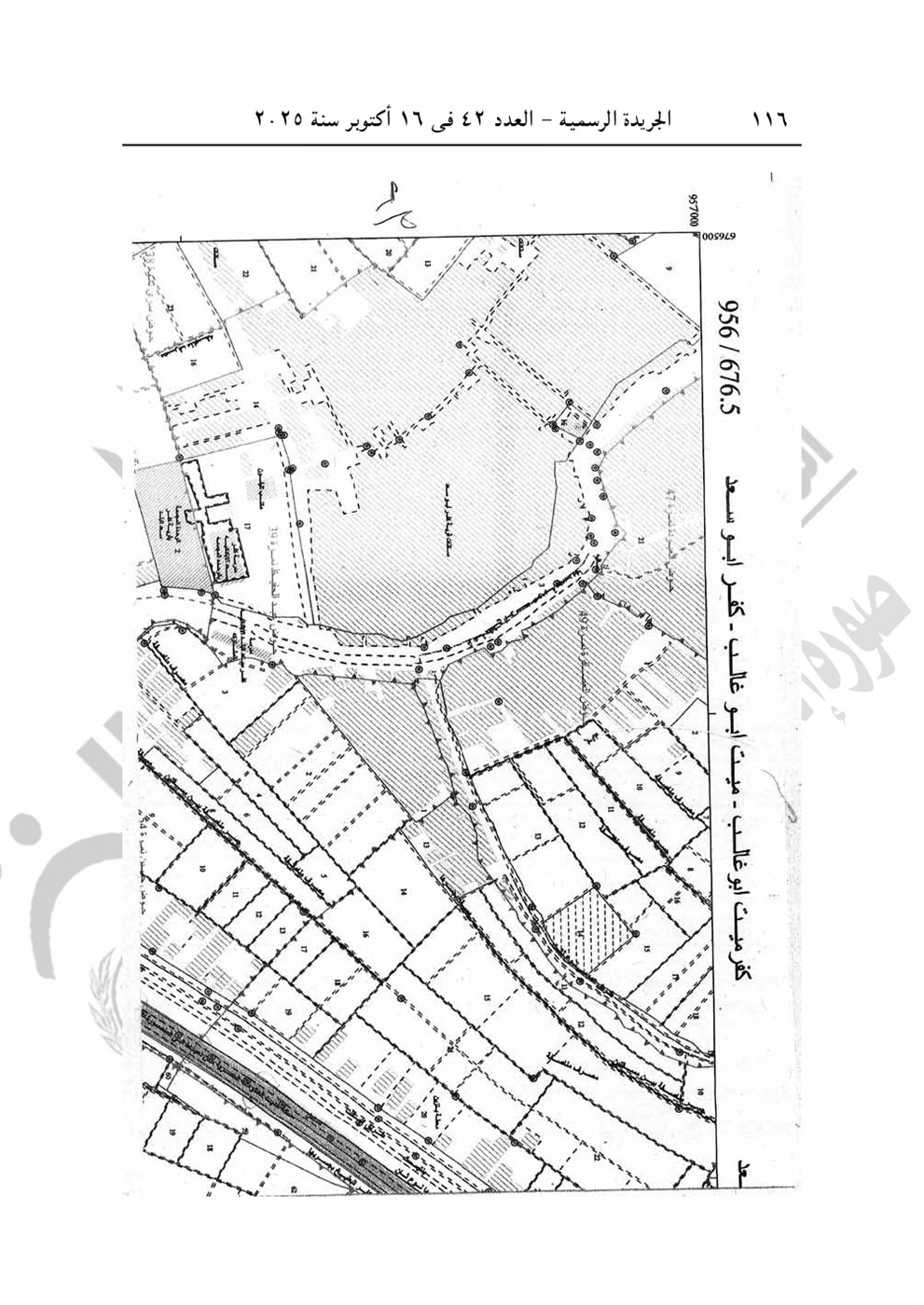
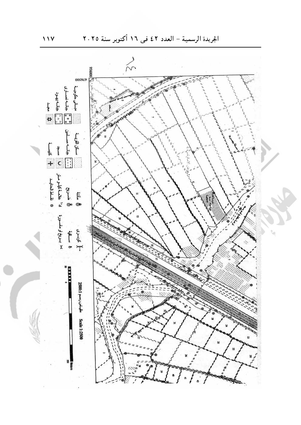
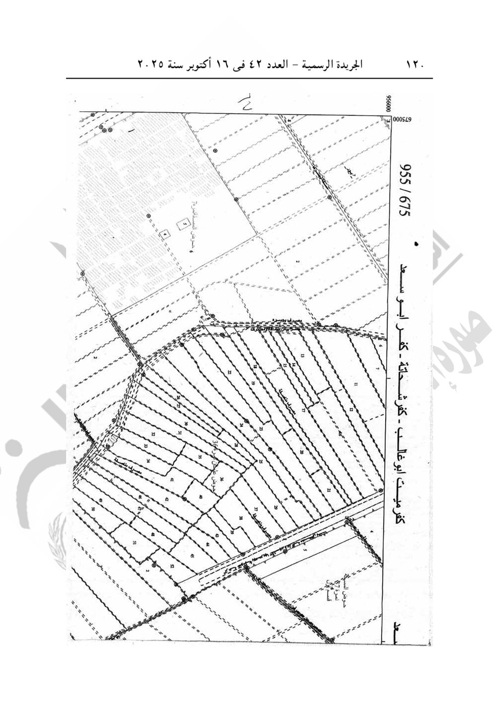
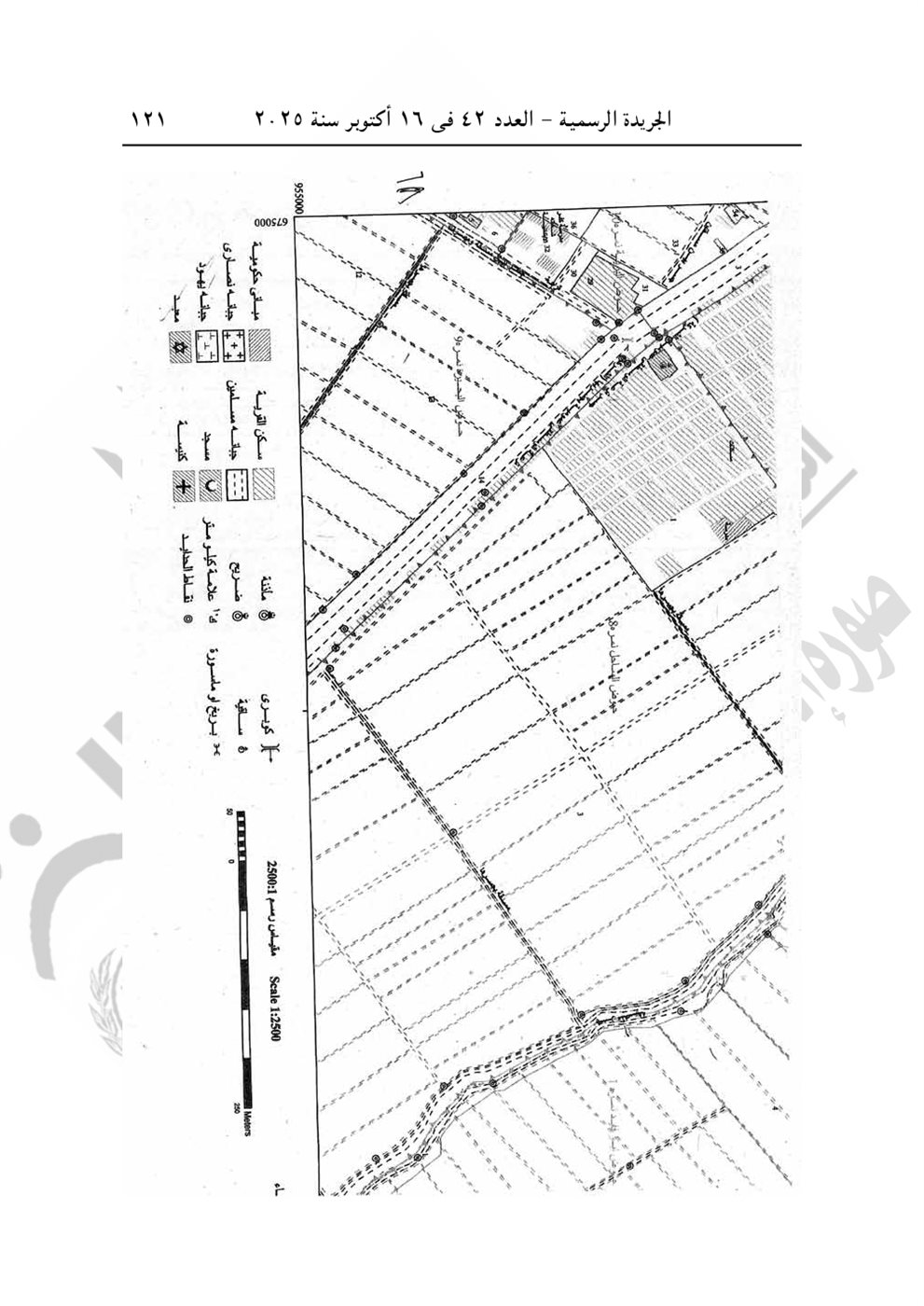
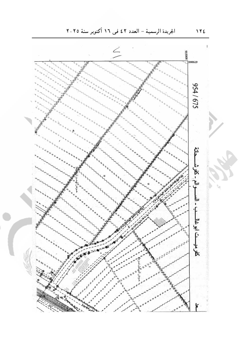
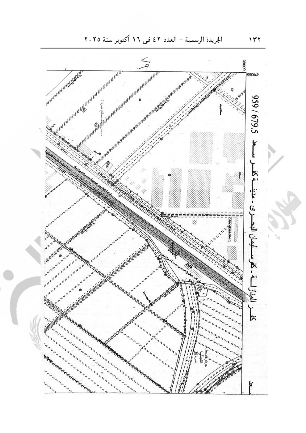
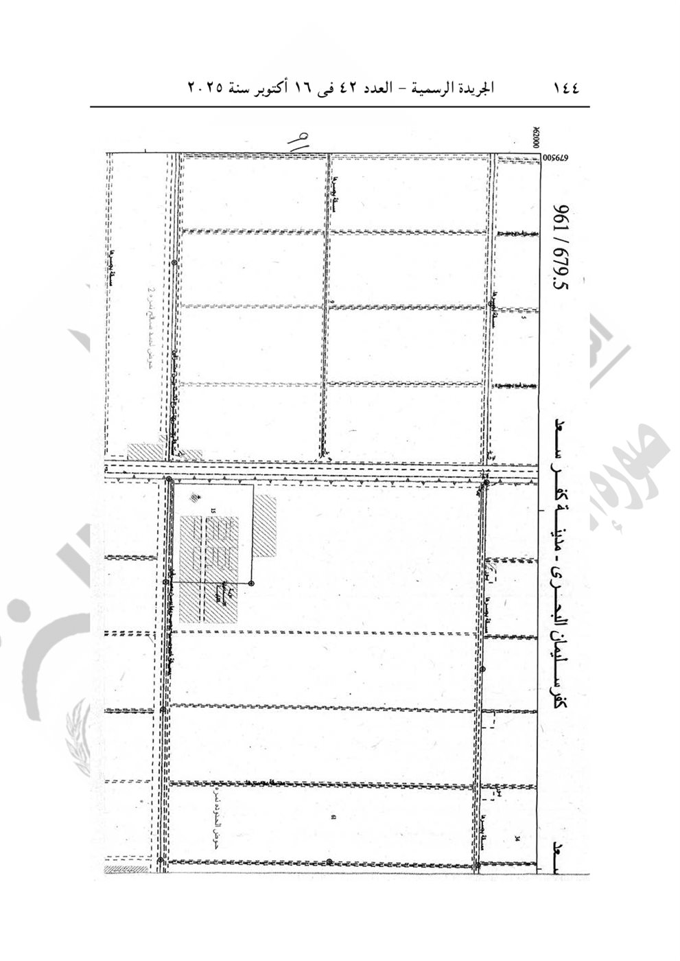
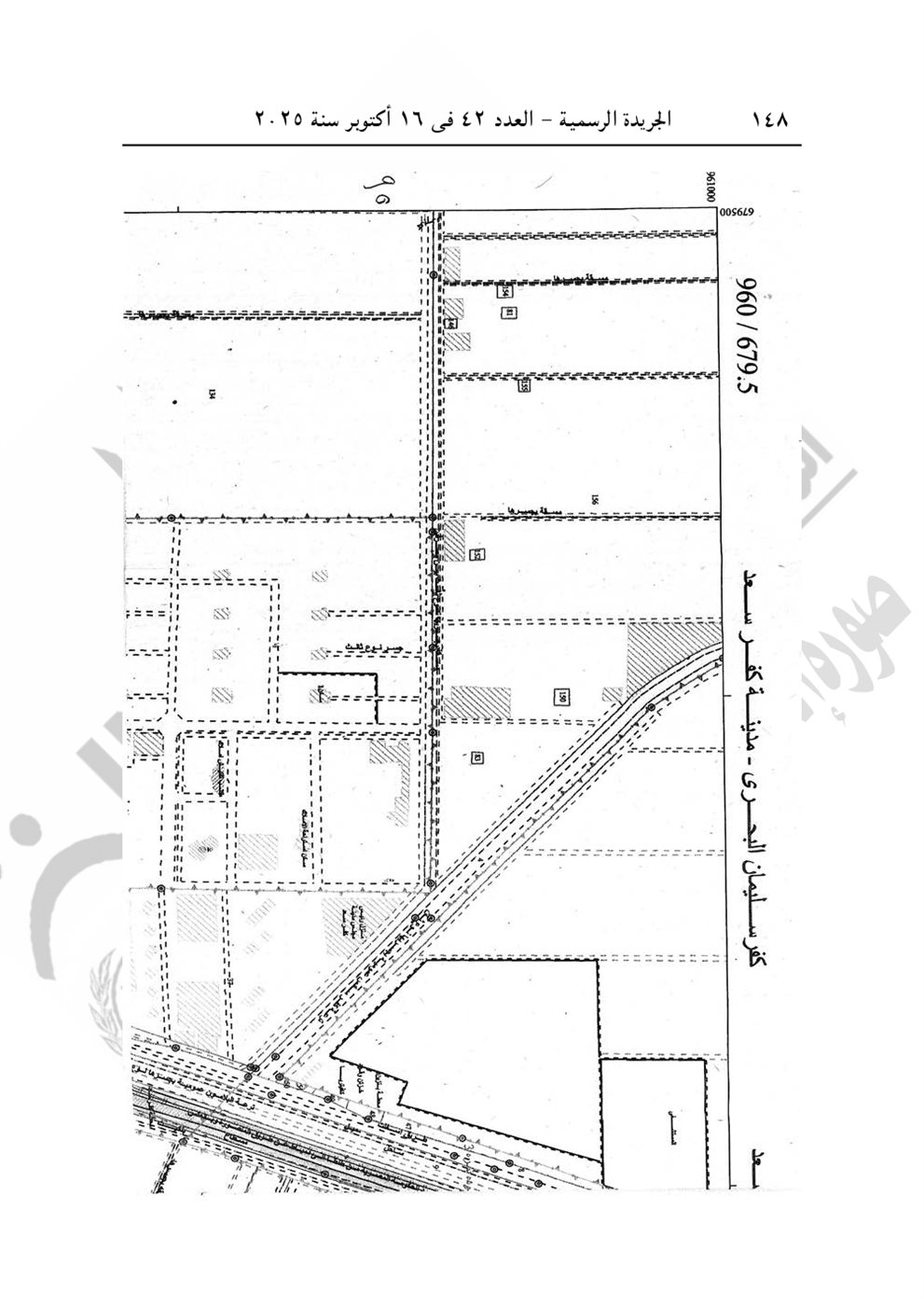
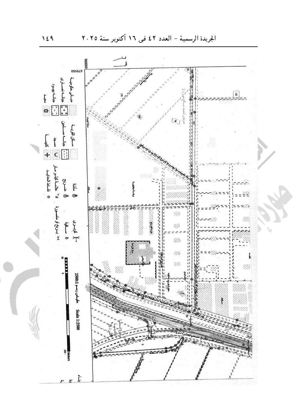
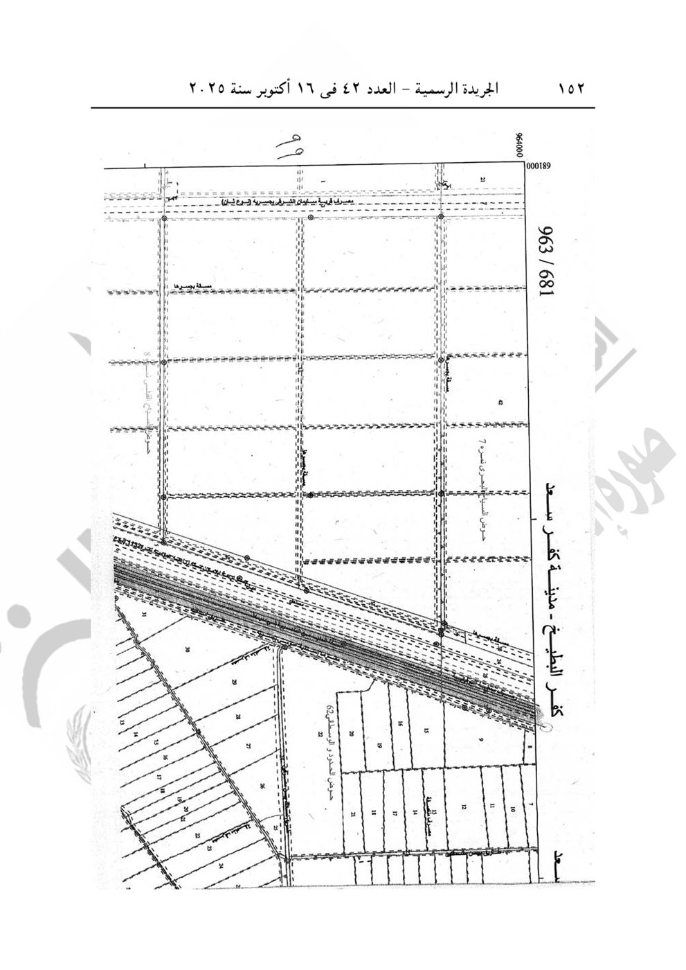
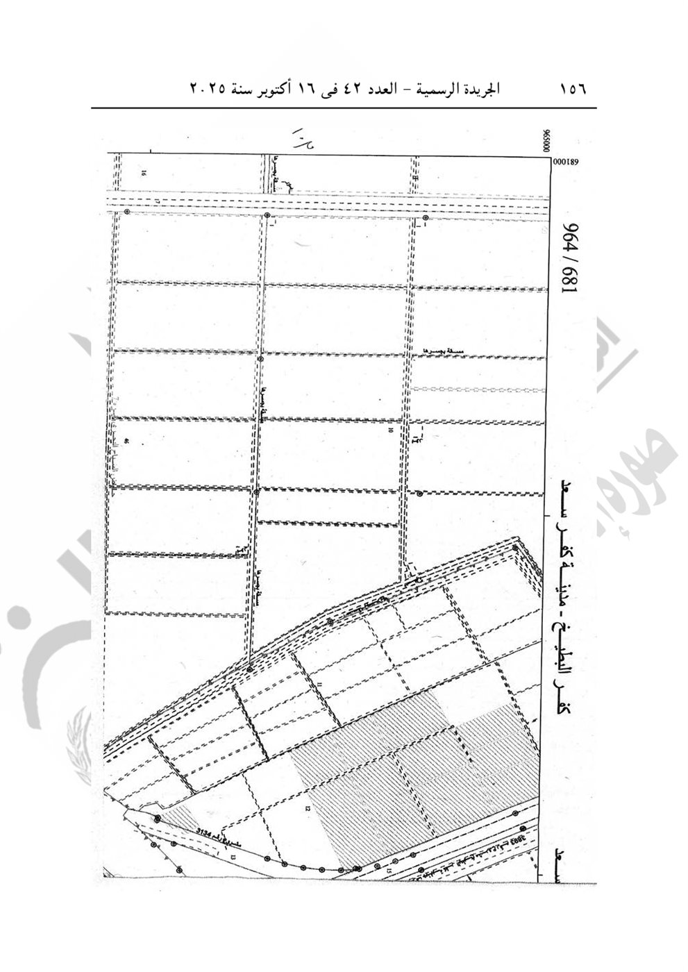
- قرار رئيس مجلس الوزراء رقم 3276 لسنة 2025، باعتبار مشروع ازدواج خط سكة حديد المنصورة/ دمياط، فى نطاق محافظتى الدقهلية ودمياط، من أعمال المنفعة العامة.
ويستولى بطريق التنفيذ المباشر، لصالح الهيئة العامة للطرق والكبارى، على الأراضى والعقارات اللازمة لتنفيذ المشروع، والمبين موقعها ومساحتها وحدودها وأسماء مالكها بالمذكرة التوضيحية، وجاء في تقرير استشاري الهيئة المصرية العامة للمساحة المتضمن قيمة التعويض المبدئى المقرر لنزع الملكية المطلوبة لتنفيذ المشروع والمقدر بنحو 74٫92 مليون جنيه.
-قرار رئيس مجلس الوزراء رقم 3670 لسنة 2025، بنقل تبعية مركز تدريب ميت غمر التابع لجهاز التدريب الإنتاجى على حرف التشييد والبناء التابع للجهاز المركزى للتعمير بوزارة الإسكان والمرافق والمجتمعات العمرانية إلى وزارة التربية والتعليم والتعليم الفنى، على أن يشمل نقل التبعية نقل كافة أصول المركز المذكور، وما تحويه من آلات ومعدات وأدوات على النحو الذى ستحدده المحاضر التنسيقية المشتركة بين وزارتى الإسكان والمرافق والمجتمعات العمرانية ووزارة التربية والتعليم والتعليم الفنى.
ويتم اتخاذ الإجراءات اللازمة لنقل موظفى مركز التدريب إلى وزارة التربية والتعليم والتعليم الفنى بذات مستوياتهم الوظيفية ومزاياهم المالية، التى يتمتعون بها حاليا كحد أدنى، وذلك بالتنسيق مع كل من وزارة المالية والجهاز المركزى للتنظيم والإدارة.



























































































































































ونقدم لكم من خلال موقع (فيتو)، تغطية ورصدًا مستمرًّا على مدار الـ 24 ساعة لـ أسعار الذهب، أسعار اللحوم ، أسعار الدولار ، أسعار اليورو ، أسعار العملات ، أخبار الرياضة ، أخبار مصر، أخبار اقتصاد ، أخبار المحافظات ، أخبار السياسة، أخبار الحوداث ، ويقوم فريقنا بمتابعة حصرية لجميع الدوريات العالمية مثل الدوري الإنجليزي ، الدوري الإيطالي ، الدوري المصري، دوري أبطال أوروبا ، دوري أبطال أفريقيا ، دوري أبطال آسيا ، والأحداث الهامة و السياسة الخارجية والداخلية بالإضافة للنقل الحصري لـ أخبار الفن والعديد من الأنشطة الثقافية والأدبية.
تابع موقع فيتو عبر قناة (يوتيوب) اضغط هــــــــــــنا
تابع موقع فيتو عبر قناة (واتساب) اضغط هــــــــــــنا
تابع موقع فيتو عبر تطبيق (نبض) اضغط هــــــــــنا
تابع موقع فيتو عبر تطبيق (جوجل نيوز) اضغط هــــــــنا

