رئيس الوزراء يصدر 5 قرارات جديدة اليوم
نشرت الجريدة الرسمية في عددها رقم 29، الصادر في 17 يوليو 2025، 5 قرارات جديدة لرئيس الوزراء الدكتور مصطفى مدبولي، بشأن تخصيص أراضي من أملاك الدولة الخاصة لإقامة مشروعات، وجاءت كالتالي:
-قرار رئيس الوزراء رقم 1752 لسنة 2025، بشأن تخصيص قطعة أرض من أملاك الدولة الخاصة بمساحة 5082م2 زمام قرية الراشدة التابعة للوحدة المحلية لمركز ومدينة الداخلة بمحافظة الوادى الجديد، بالمجان، لصالح مديرية التربية والتعليم بالمحافظة لتوفيق أوضاع مدرسة الثورة للتعليم الأساسى المقامة عليها.
-وقرار رئيس مجلس الوزراء رقم 1753 لسنة 2025، بتخصيص قطعة أرض من أملاك الدولة الخاصة بمساحة 30 متر مربع زمام قرية الضباعنة ناحية قرية طنسا بنى مالو، التابعة للوحدة المحلية لمركز ومدينة ببا بمحافظة بنى سويف، بالمجان، لصالح الهيئة القومية للبريد لتوسعة مكتب بريد الضباعنة.
-وقرار رئيس مجلس الوزراء رقم 1754 لسنة 2025، بتخصيص قطعة أرض من أملاك الدولة الخاصة، تبرع المواطن رجب محمود حافظ حسانين، بمساحة 1400 متر مربع، ضمن حوض خوخة زمام قرية الحرجة ناحية قرية الحمام، التابعة للوحدة المحلية لمركز ومدينة ناصر بمحافظة بنى سويف، بالمجان، لصالح مديرية الصحة بالمحافظة لإقامة وحدة طب أسرة.
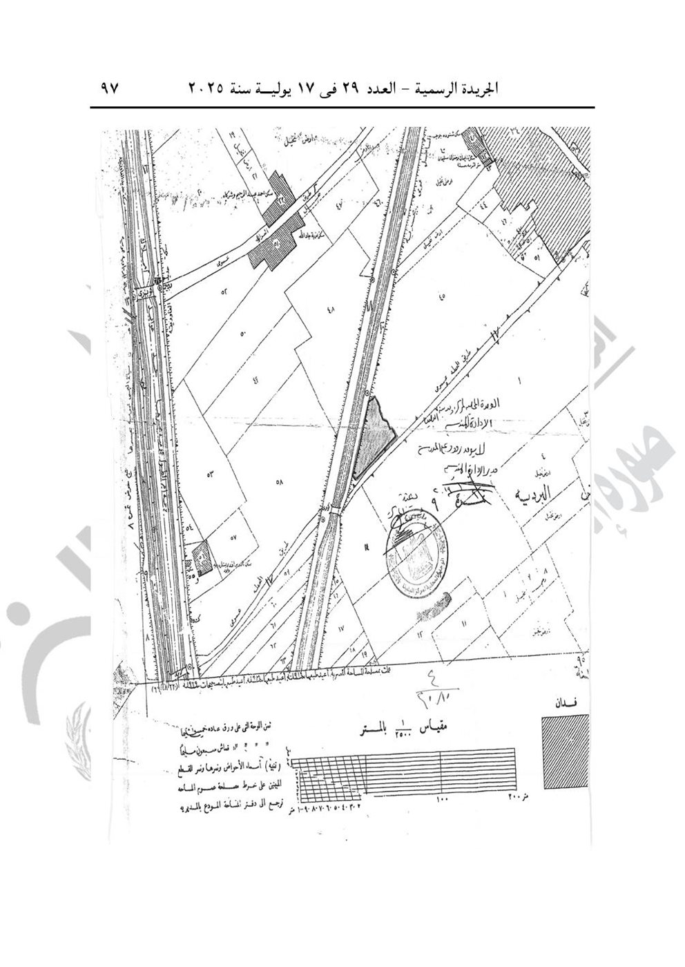
-وقرار رئيس مجلس الـوزراء رقم 2080 لسنة 2025، باعتبار مشروع نزع ملكية العقار الذى تشغله مدرسة البلينا الإعدادية الجديدة بنين (إخوان بطرس سابقا، الكائن بحوض داير الناحية نمرة (6) زمام بندر البلينا، مركز البلينا، محافظة سوهاج، من أعمال المنفعة العامة.
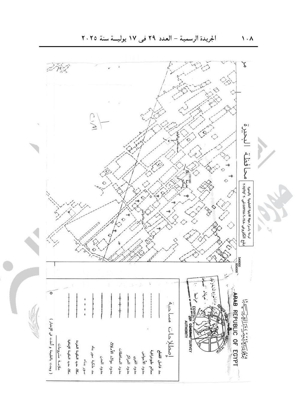
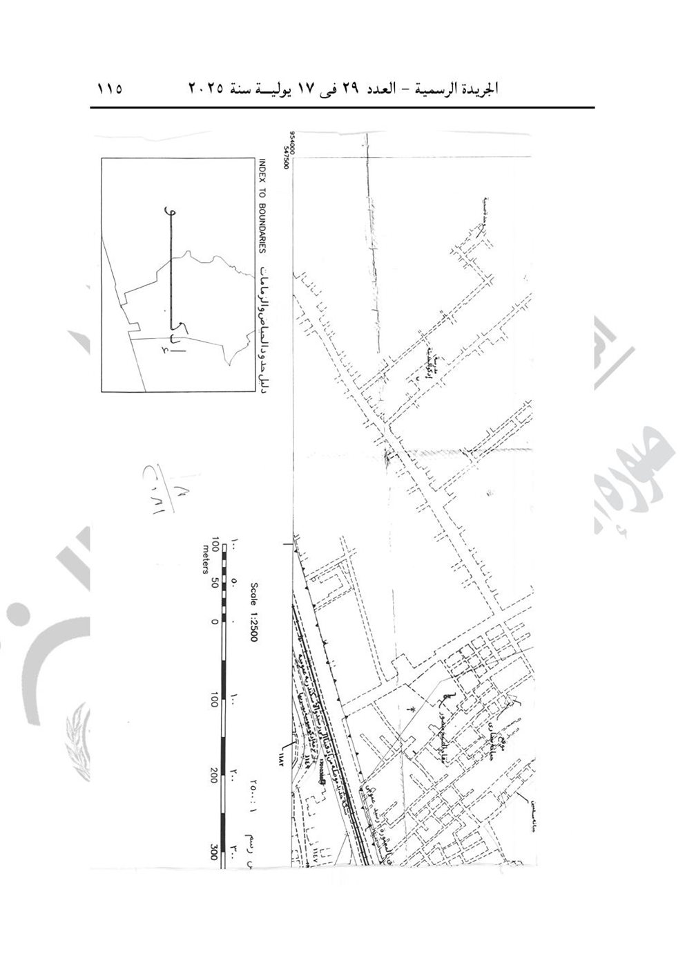
- وقرار رئيـس مجلـس الوزراء رقـم 2081 لسنة 2025، باعتبار مشروع نزع ملكية قطعة الأرض التى كانت تشغلها مدرسة الشعب الابتدائية المشتركة، الكائنة بحوض الرمال نمرة (1) قسم ثان، ناحية إدكو بمحافظة البحيرة، من أعمال المنفعة العامة.




































ونقدم لكم من خلال موقع (فيتو)، تغطية ورصدًا مستمرًّا على مدار الـ 24 ساعة لـ أسعار الذهب، أسعار اللحوم ، أسعار الدولار ، أسعار اليورو ، أسعار العملات ، أخبار الرياضة ، أخبار مصر، أخبار اقتصاد ، أخبار المحافظات ، أخبار السياسة، أخبار الحوداث ، ويقوم فريقنا بمتابعة حصرية لجميع الدوريات العالمية مثل الدوري الإنجليزي ، الدوري الإيطالي ، الدوري المصري، دوري أبطال أوروبا ، دوري أبطال أفريقيا ، دوري أبطال آسيا ، والأحداث الهامة و السياسة الخارجية والداخلية بالإضافة للنقل الحصري لـ أخبار الفن والعديد من الأنشطة الثقافية والأدبية.
تابع موقع فيتو عبر قناة (يوتيوب) اضغط هــــــــــــنا
تابع موقع فيتو عبر قناة (واتساب) اضغط هــــــــــــنا
تابع موقع فيتو عبر تطبيق (نبض) اضغط هــــــــــنا
تابع موقع فيتو عبر تطبيق (جوجل نيوز) اضغط هــــــــنا
