قرار رئيس الوزراء للاستيلاء على أرض بالفسطاط لإنشاء جراج متعدد الطوابق
نشرت الجريدة الرسمية في عددها رقم 20، الصادر في 16 مايو 2024، قرارا جديدا اليوم لرئيس الوزراء الدكتور مصطفى مدبولي، بشأن الاستيلاء بطريق التنفيذ المباشر على قطعة أرض بمدينة الفسطاط، لإقامة جراج متعدد الطوابق.
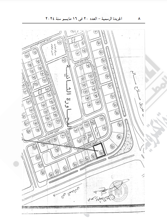
-ونص قرار رئيس الوزراء الجديد رقم 1377 لسنة 2024، في مادته الأولى على "اعتبار مشروع نزع ملكية قطعة الأرض رقم (27س) بمنزل كوبرى اللواء صالح الشاذلى القادم من صالح سالم باتجاه الاوتوستراد- المجاورة الثانية، مدينة الفسطاط حى مصر القديمة - محافظة القاهرة، من أعمال المنفعة العامة، لإقامة جراج متعدد الطوابق عليها."
ويستولى بطريق التنفيذ المباشر على قطعة الأرض، المشار إليها، في المادة السابقة والمبين موقعها وحدودها واسم مالكها الظاهر بالمذكرة الإيضاحية والرسم التخطيطي والكشف المرفقين.






ونقدم لكم من خلال موقع (فيتو)، تغطية ورصدًا مستمرًّا على مدار الـ 24 ساعة لـ أسعار الذهب، أسعار اللحوم ، أسعار الدولار ، أسعار اليورو ، أسعار العملات ، أخبار الرياضة ، أخبار مصر، أخبار اقتصاد ، أخبار المحافظات ، أخبار السياسة، أخبار الحوادث، ويقوم فريقنا بمتابعة حصرية لجميع الدوريات العالمية مثل الدوري الإنجليزي ، الدوري الإيطالي ، الدوري المصري، دوري أبطال أوروبا ، دوري أبطال أفريقيا ، دوري أبطال آسيا ، والأحداث الهامة و السياسة الخارجية والداخلية بالإضافة للنقل الحصري لـ أخبار الفن والعديد من الأنشطة الثقافية والأدبية.
