بالأسماء، الاستيلاء على الأرض اللازمة لمشروع الوحدة الصحية وطريقها بسوهاج
نشرت الجريدة الرسمية في عددها رقم 15، الصادر في 15 أبريل 2024، قرار رئيس مجلس الوزراء الدكتور مصطفى مدبولي رقم 757 لسنة 2024، بشأن الاستيلاء بطريق التنفيذ المباشر على الأرض اللازمة لتنفيذ مشروع إقامة الوحدة الصحية والطريق الذي يربطها بالطريق العام بناحية كوم العرب محافظة سوهاج.
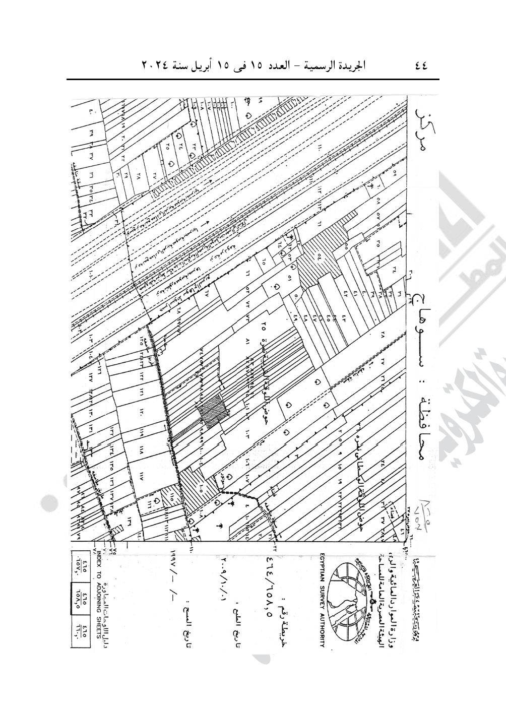
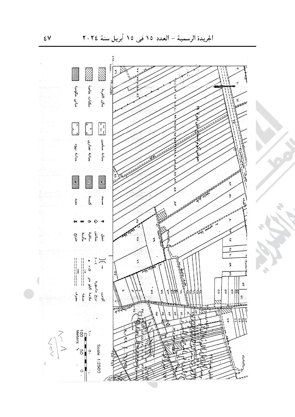
وجاء في نص المادة الأولى لقرار رئيس الوزراء "يعتبر من أعمال المنفعة العامة مشروع إقامة الوحدة الصحية والطريق الذي يربطها بالطريق العام بناحية كوم العرب - مركز طما - محافظة سوهاج، بمسطح إجمالي مقداره (3001 متر مربع).
واستولى بطريق التنفيذ المباشر على الأرض اللازمة لتنفيذ المشروع، المشار إليه في المادة السابقة، والمبين موقعها وحدودها وأسماء ملاكها الظاهرين بالمذكرة الإيضاحية والخريطة المساحية والكشف المرفقين.








ونقدم لكم من خلال موقع (فيتو)، تغطية ورصدًا مستمرًّا على مدار الـ 24 ساعة لـ أسعار الذهب، أسعار اللحوم ، أسعار الدولار ، أسعار اليورو ، أسعار العملات ، أخبار الرياضة ، أخبار مصر،أخبار اقتصاد ، أخبار المحافظات ، أخبار السياسة، أخبار الحوادث ، ويقوم فريقنا بمتابعة حصرية لجميع الدوريات العالمية مثل الدوري الإنجليزي ، الدوري الإيطالي ، الدوري المصري، دوري أبطال أوروبا، دوري أبطال أفريقيا، دوري أبطال آسيا ، والأحداث الهامة و السياسة الخارجية والداخلية بالإضافة للنقل الحصري لـ أخبار الفن والعديد من الأنشطة الثقافية والأدبية.
