رئيس الوزراء يصدر 3 قرارات جديدة اليوم
نشرت جريدة الوقائع المصرية في عددها رقم 49، الصادر في 8 ديسمبر 2022، 3 قرارات لرئيس الوزراء الدكتور مصطفى مدبولي، باعتبار مشروع إقامة وحدة طبية وإجتماعية ومحور دشنا على النيل بالغربية من أعمال المنفعة العامة.
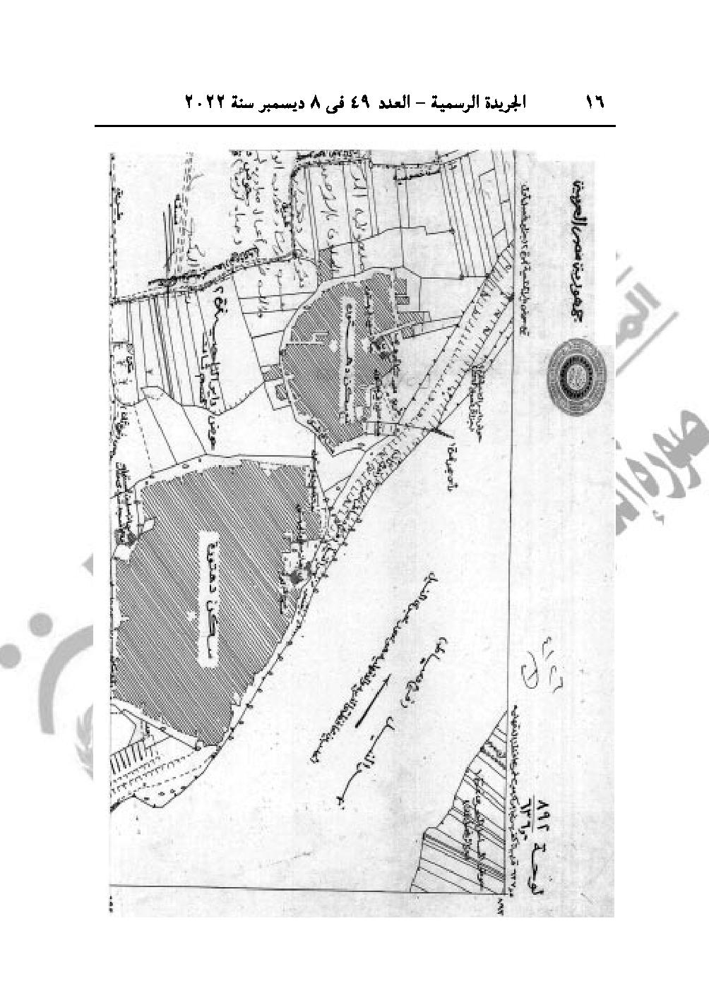
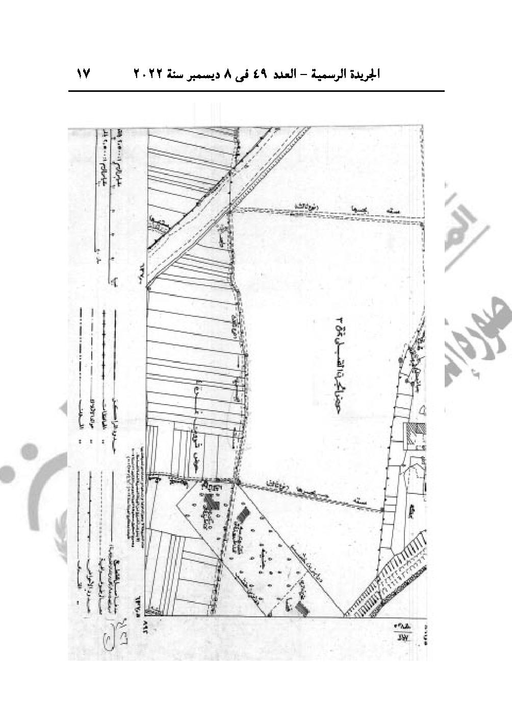
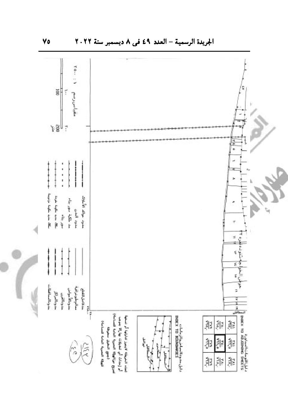
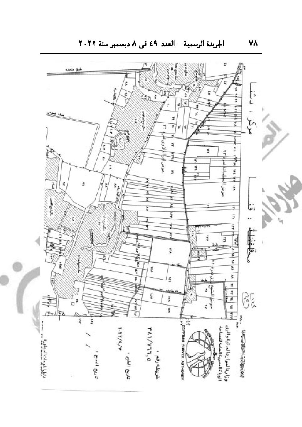
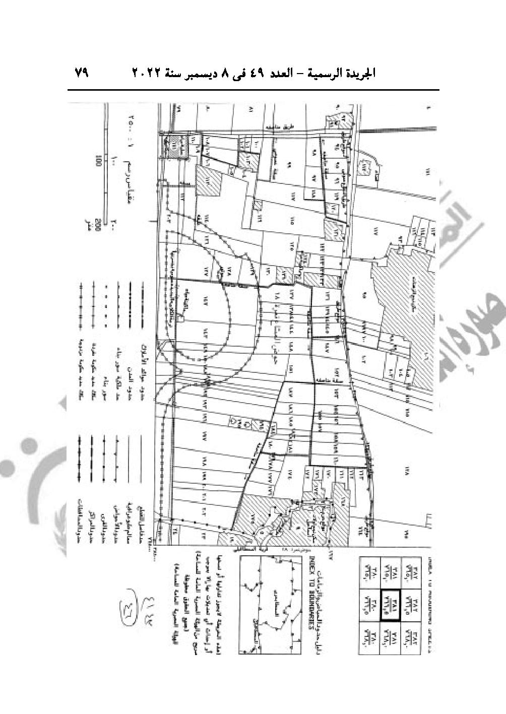
-قرار رئيس الوزراء رقم 4125 لسنة 2022، باعتبار مشروع إقامة وحدة طب الأسرة بناحية دهتورة- مركز ومدينة زفتى محافظة الغربية، من أعمال المنفعة العامة.














































































-وقرار رئيس الوزراء رقم 4126 لسنة 2022، باعتبار مشروع إقامة وحدة اجتماعية بناحية دهتورة، مركز زفتى محافظة الغربية، من أعمال المنفعة العامة.
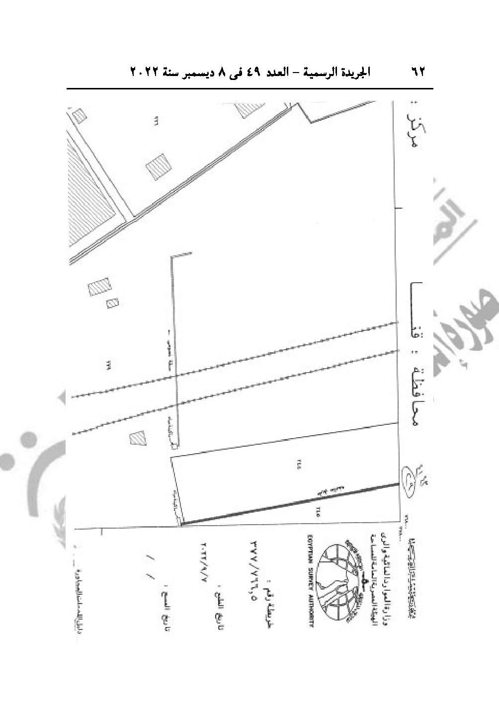
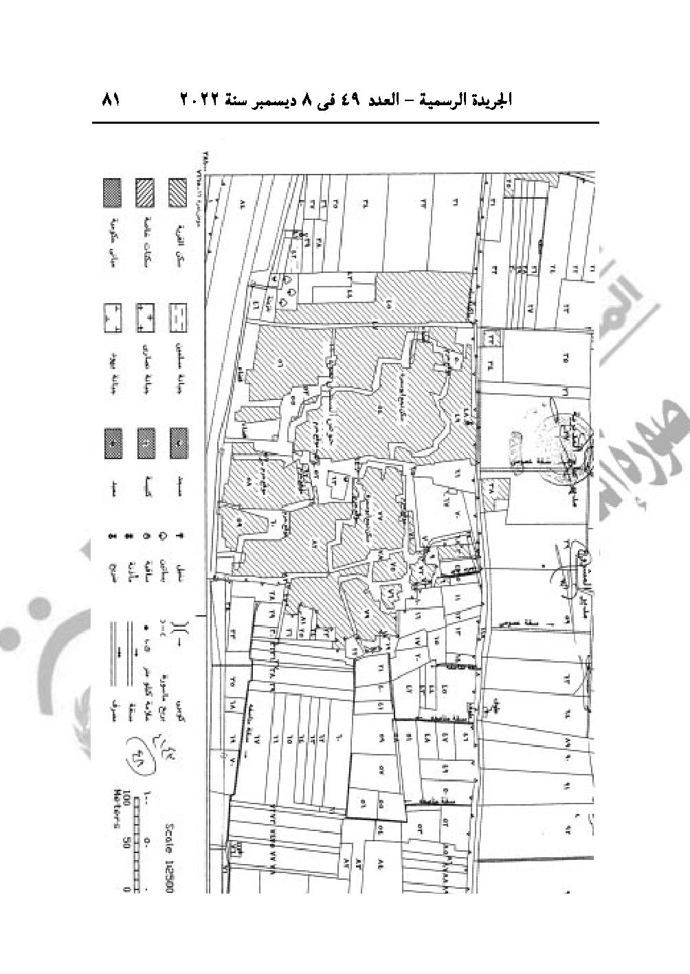
-وقرار رقم 4143 لسنة 2022، باعتبار مشروع إنشاء محور دشنا على النيل في نطاق محافظة قنا، من أعمال المنفعة العامة.
