رئيس الوزراء يصدر 3 قرارات جديدة اليوم
نشرت الجريدة الرسمية في عددها رقم 42، الصادر في 20 أكتوبر 2022، 3 قرارات جديدة لرئيس الوزراء الدكتور مصطفى مدبولي، بشأن اعتبار مشروع إقامة مركز الأسرة والطفولة بناحية دناصور المنوفية، ومشروع نزع ملكية العقارات اللازمة لتنفيذ مشروع تطوير القاهرة التاريخية من أعمال المنفعة العامة.
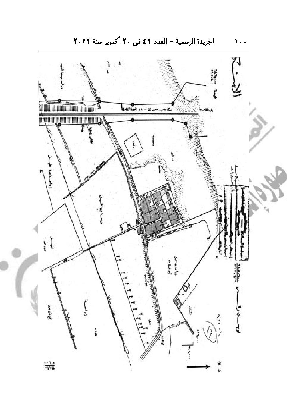
وقرار رقم 3502 لسنة 2022، باعتبار مشروع إقامة مركز الأسرة والطفولة بناحية دناصور، مركز الشهداء محافظة المنوفية، من أعمال المنفعة العامة.










































































































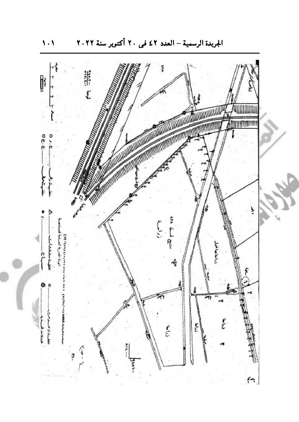
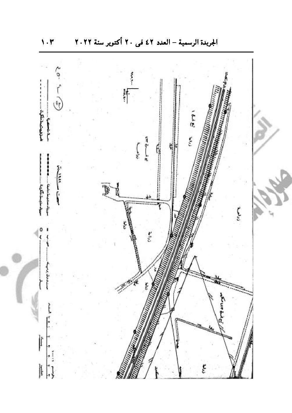
-والقرار رقم 3503 لسنة 2022، باعتبار مشروع نزع ملكية العقارات اللازمة لتنفيذ مشروع تطوير وتأهيل وإحياء مناطق القاهرة التاريخية من أعمال المنفعة العامة.
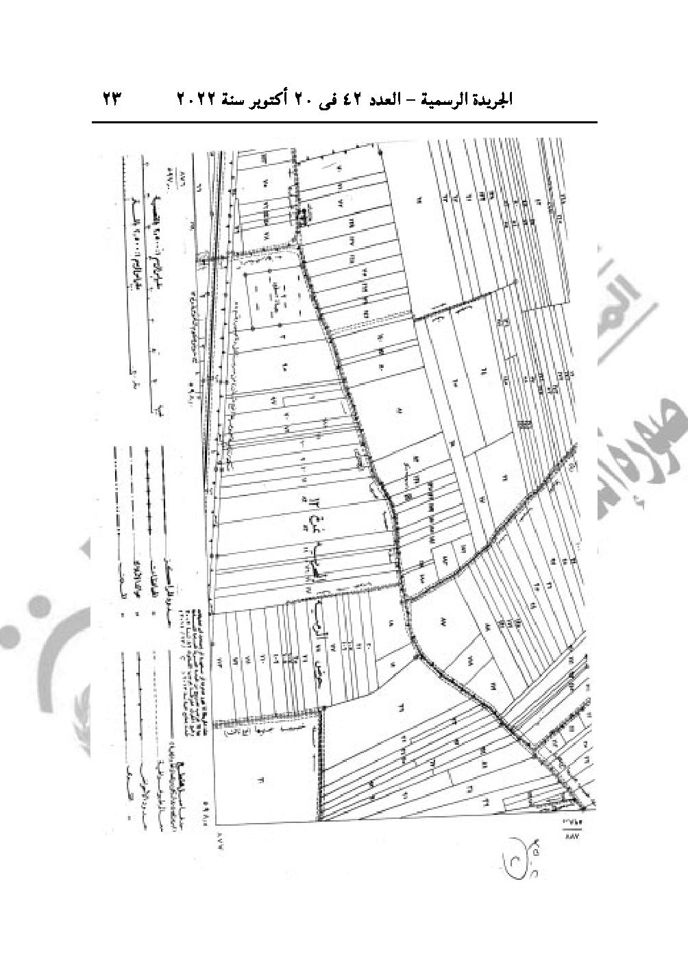
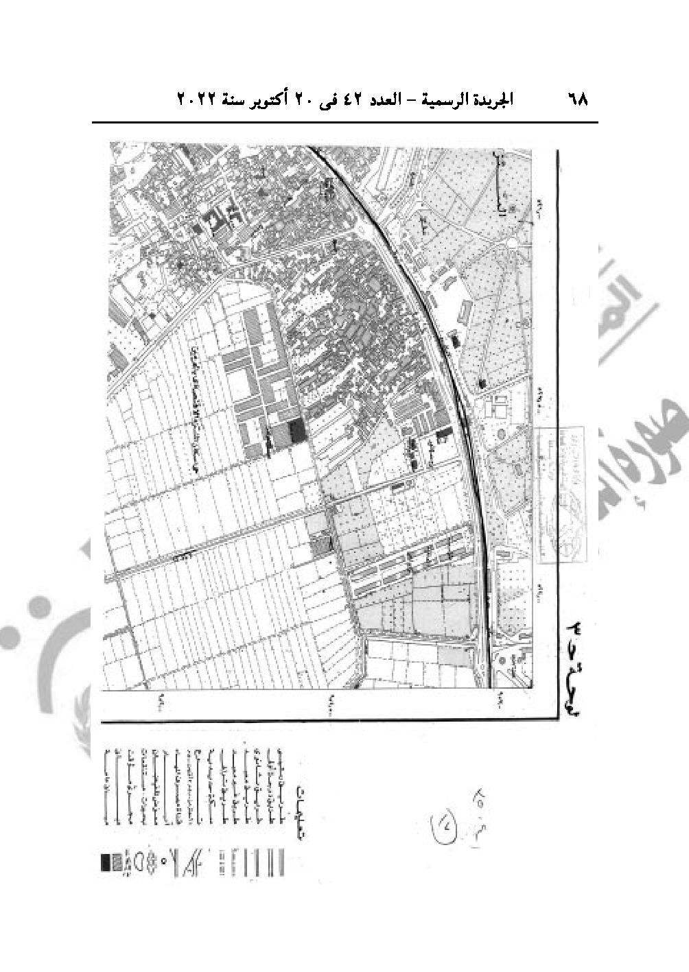
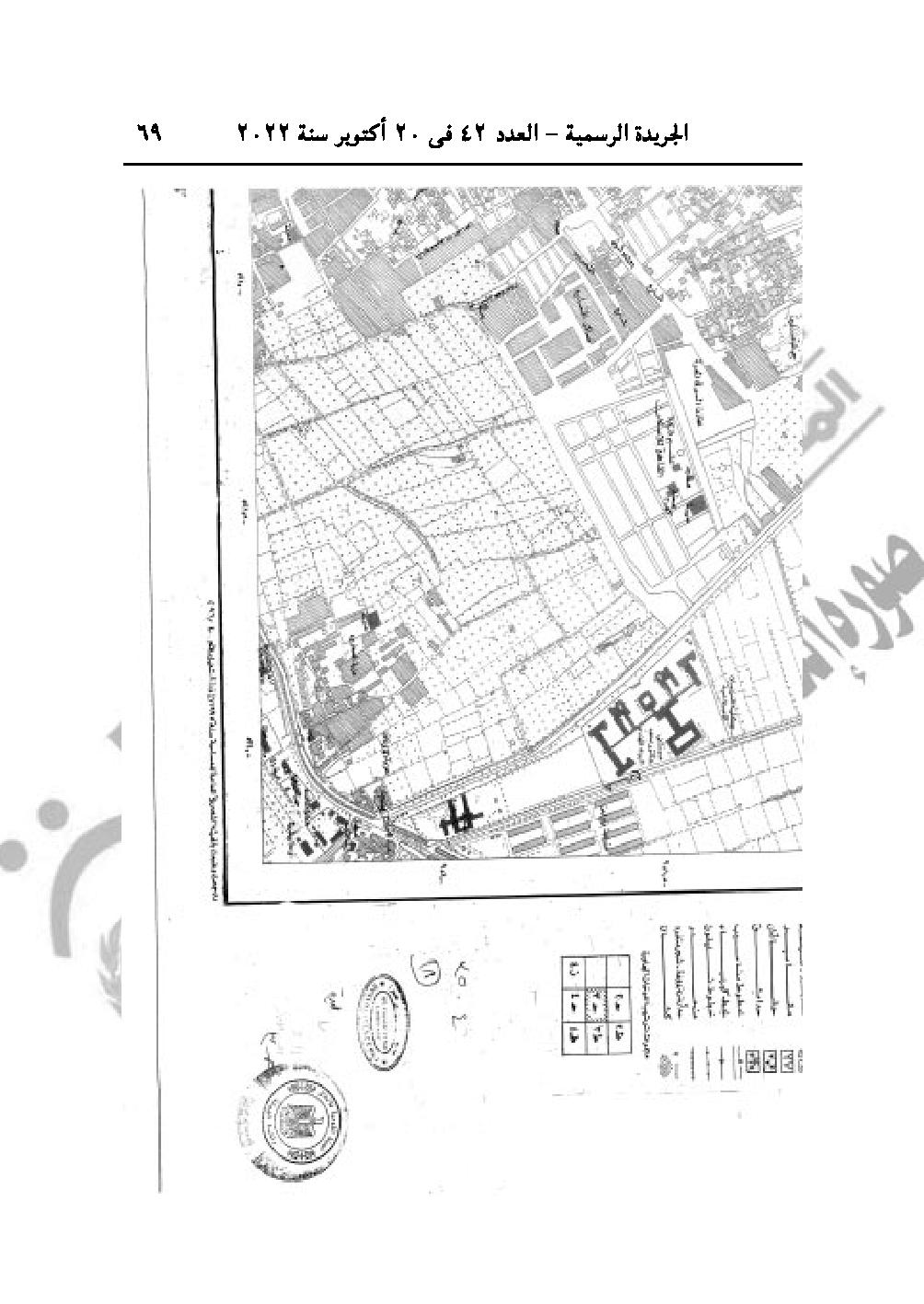
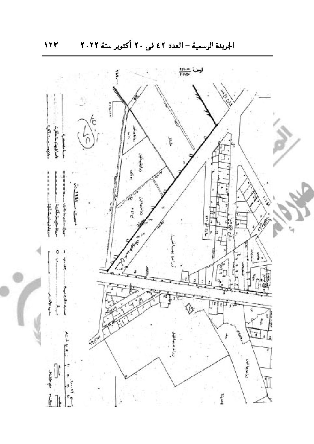
-والقرار رقم 3504 لسنة 2022، باستبدال الخرائط المساحية وكشوف الملاك الظاهرين وكروت الوصف المرافقة لهذا القرار بالخرائط المساحية، بقرار رئيس مجلس الوزراء رقم 360 لسنة 2020.
