5 قرارات جديدة لرئيس الوزراء اليوم
نشرت الجريدة الرسمية في عددها رقم 38، الصادر في 22 سبتمبر 2022، 5 قرارات لرئيس الوزراء الدكتور مصطفى مدبولي، بشأن اعتماد كردون مدينة بدمياط، واعتبار منطقة بالوادي الجديد أرضًا أثرية، واعتبار بعض المشروعات بالدقهلية والمنوفية والفيوم منفعة عامة.
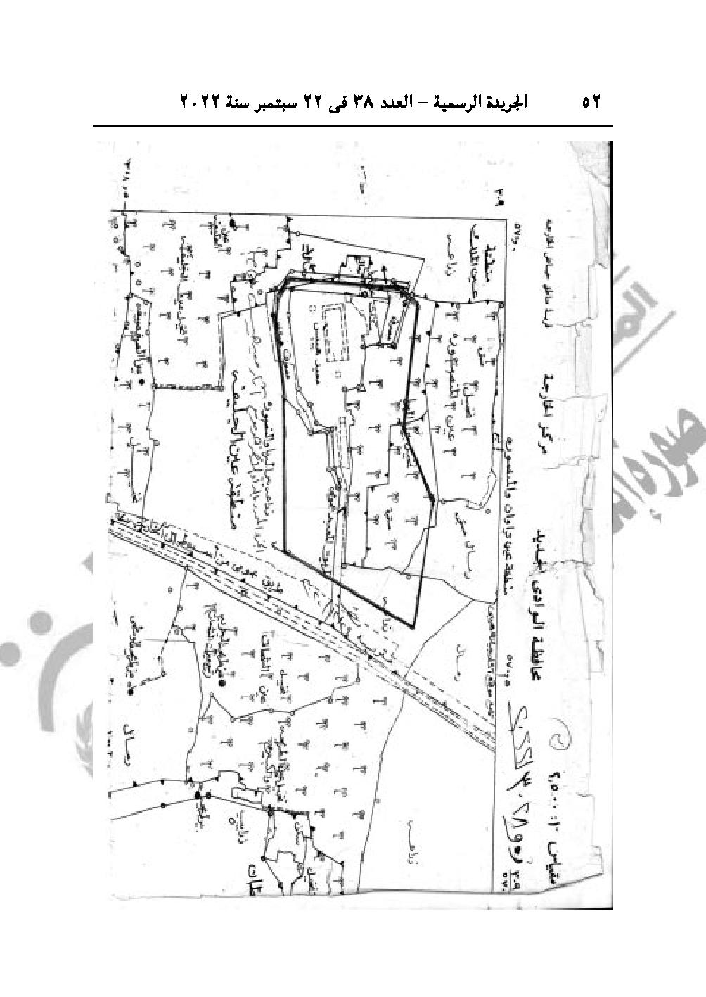
-القرار رقم 2848 لسنة 2022، باعتماد كردون مدينة كفر البطيخ بمحافظة دمياط.
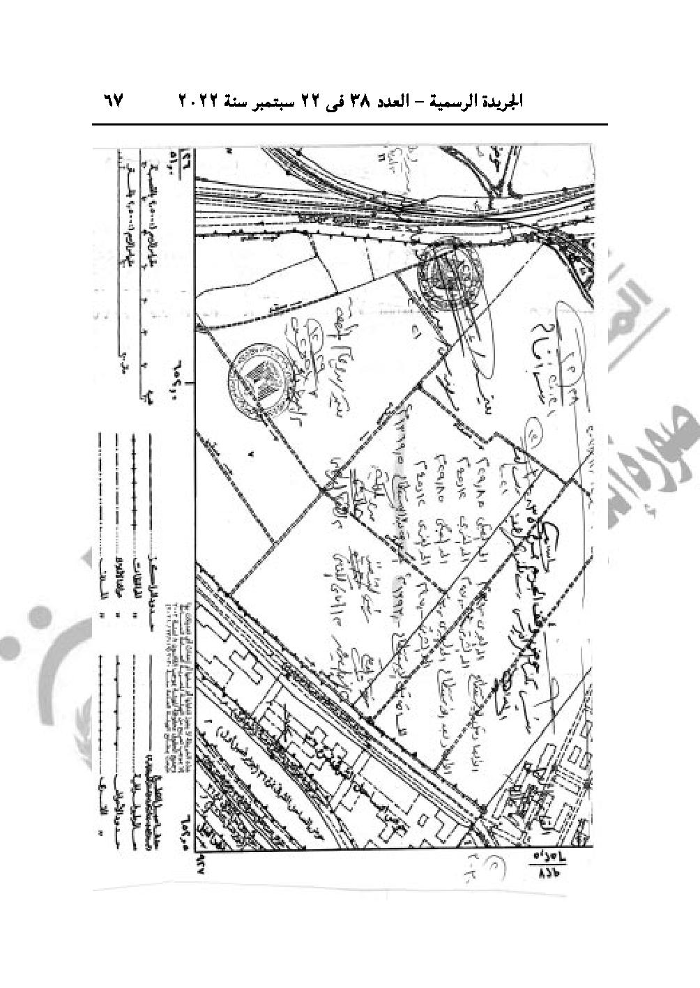
-والقرار رقم 3028 لسنة 2022 باعتبار المنطقة المحيطة بمعبد هيبس مركز الخارجة محافظة الوادي الجديد، والبالغ مساحتها (14) فدانًا و(3) قراريط و(0.14) سهمًا أرضًا أثرية.
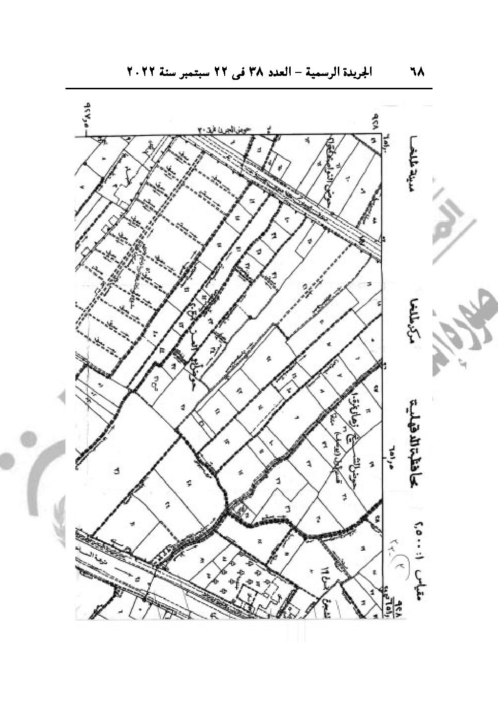
-والقرار رقم 3029 باعتبار مشروع إقامة محطة رفع الصرف الصحي بناحية كفر أبشيش مركز قويسنا محافظة المنوفية بمسطح (4) قراريط و(21) سهمًا بما يعادل 900 متر مربع من أعمال المنفعة العامة.
























































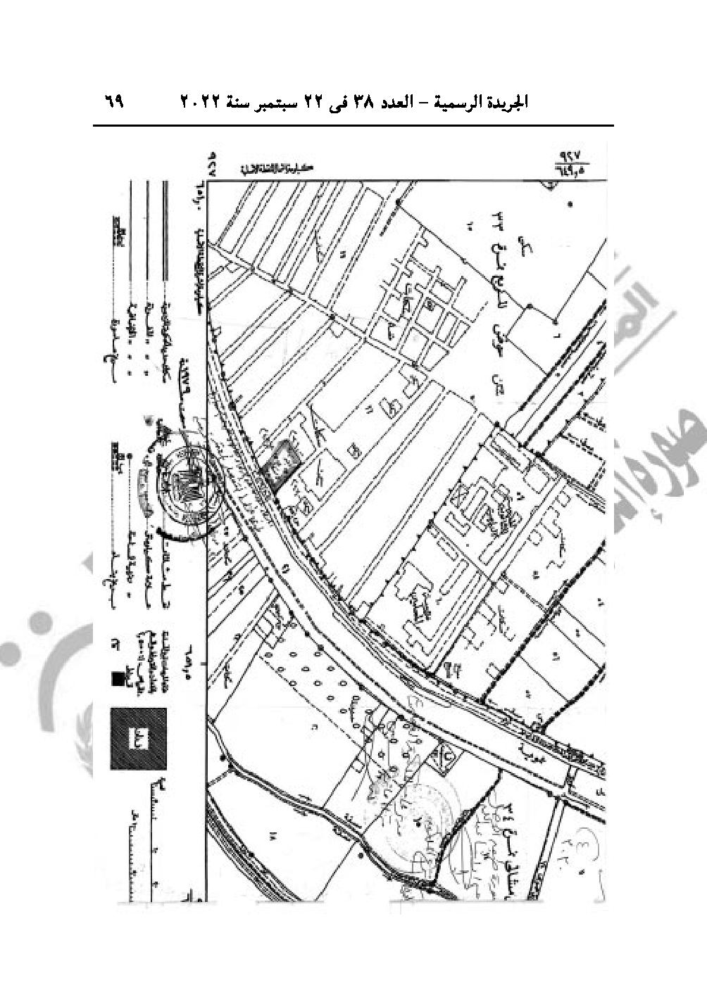
-والقرار رقم 3030 لسنة 2022 باعتبار مشروع نزع ملكية العقار الذي تشغله مدرسة مصطفى كامل الابتدائية، زمام مدينة طلخا محافظة الدقهلية، بمساحة مقدارها (1369.5 متر مربع، بعد الاستقطاع من أعمال المنفعة العامة.
-والقرار رقم 3031 لسنة 2022، باعتبار مشروع إنشاء المصرف القاطع لتخفيض المياه الواردة لبحيرة قارون وزيادة التصريفات لمنطقة مركز أبشواي بمحافظة الفيوم بمسطح (28) فدانًا، و(22) قيراطًا، و(6) أسهم من أعمال المنفعة العامة.
