رئيس الوزراء يصدر 3 قرارات اليوم
نشرت الجريدة الرسمية في عددها رقم 33، الصادر في 18 أغسطس 2022، قرارات رئيس مجلس الوزراء الدكتور مصطفى مدبولي بشأن اعتبار مشروع محطة معالجة الصرف الصحي بناحية ميت كنانة بمحافظة القليوبية، ومشروع إقامة نقطة شرطة بناحية سندبسط،من أعمال المنفعة العامة.
قرارات رئيس الوزراء
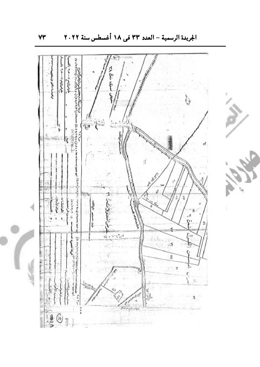
القرار رقم 254 لسنة 2022، بشأن اعتبار مشروع إقامة محطة معالجة الصرف الصحي بناحية ميت كنانة- مركز طوخ- محافظة القليوبية، والواقع بحوض الرواتب نمرة (27)، بمسطح (4) أفدنة و4 قراريط ز9 أسهم، من أعمال المنفعة العامة، وذلك لصالح الجهاز التنفيذي لمياه الشرب والصرف الصحى.
ويستولى بطريق التنفيذ المباشر على الأرض اللازمة لتنفيذ المشروع المشار إليه في المادة السابقة، والمبين موقعها وحددودها واسم مالكها الظاهر بالمذكرة والخريطة المساحية.










والقرار رقم 2550 لسنة 2022، بشأن تخصيص قطعة أرض من أملاك الدولة الخاصة بمساحة 80 ألف متر مربع، والكائنة بمنطقة وادي ماجد بمدينة مرسى ممطروح، بمحافظة مطروح وبالإيجار الاسمي، لصالح الشركة المصرية لنقل الكهرباء، لإقامة محولات كهرباء مطروح عليها، وفقًا للحدود والأبعاد المبنية بالرسم الكروكي.
وحال زوال الغرض أو مخالفة الشركة إليها لهذا الغرض تعود قطعة الأرض إلى ملك محافظة مطروح دون حاجة إلى أي إجراء.
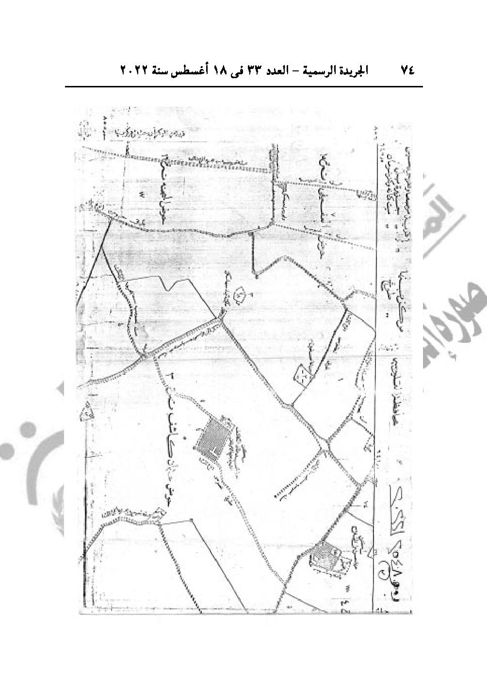
كما نشرت الجريدة الرسمية في عددها رقم 2 مكرر (أ)، الصادر في 16 أغسطس 2022، قرار رئيس الوزراء رقم 2769 لسنة 2022، باعتبار مشروع إقامة نقطة شرطة بناحية سندبسط التابعة لمركز زمدينة زفتى محافظة الغربية، والواقع بالقطعة رقم 91 من 31 أصلية، بحوض ساقية شغيب نمرة 1 بمسطح 13 قيراطًا و23 سهمًا تقريبًا، بما يعادل 2448 متر مربع.
ويستولى بطريق التنفيذ المباشر على الأرض اللازمة لتنفيذ المشروع المشار إليه في المادة السابقة، والمبين موقعها وحدودها وأسماء ملاكها الظاهرين بالمذكرة الإيضاحية.
