منها نقل وكيل نيابة لوظيفة غير قضائية.. الجريدة الرسمية تنشر 5 قرارات جمهورية جديدة
نشرت الجريدة الرسمية في عددها رقم 31، الصادر في 4 أغسطس 2022، 5 قرارات رئيس الجمهورية عبد الفتاح السيسي، بشأن نقل وكيل نيابة عامة لوظيفة غير قضائية، وتخصيص بعض الأراضي المملوكة للدولة ببعض المحافظات لإقامة مشروعات.
القرار رقم 295 لسنة 2022، بنقل إياس أحمد فتحي حسن المزين، وكيل النيابة العامة من الفئة الممتازة بنيابة مرسى مطروح الجزئية، إلى وظيفة غير قضائية.
والقرار رقم 310 لسنة 2022 بتخصيص مساحة 67.85 فدان تقريبًا تعادل 285032 متر مربع من الأراضي المملوكة للدولة ملكية خاصة ناحية مركز ومدينة الطود بمحافظة الأقصر، لاستخدامها في إقامة محطة معالجة صرف صحي.
والقرار رقم 312 لسنة 2022، بتخصيص 1857.91 فدان تقريبًا تعادل 7804806 من الأراضي المملوكة للدولة ملكية خاصة ناحية مطوبس، لاستخدامها في الأنشطة الصناعية.





















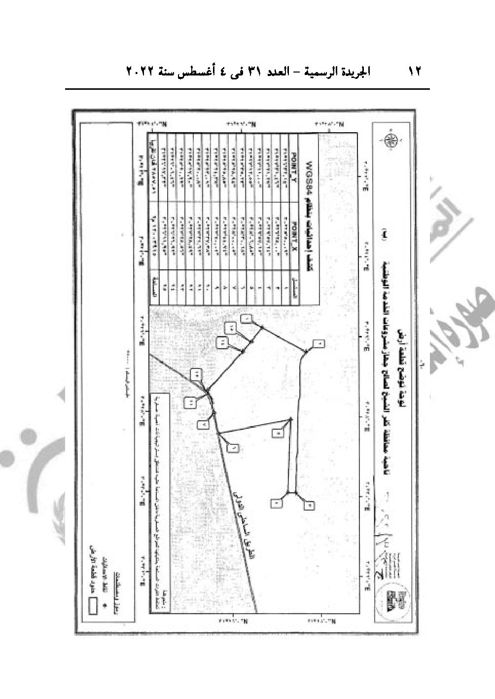
والقرار رقم 313 لسنة 2022 بتخصيص بعض المساحات المختلفة من الأراضي المملوكة للدولة ملكية خاصة، ناحية محافظة سوهاج، لاستخدامها في إقامة المشروعات، وذلك ضمن مشروعات المبادرة الرئاسية لتطوير قرى الريف المصري "حياة كريمة".
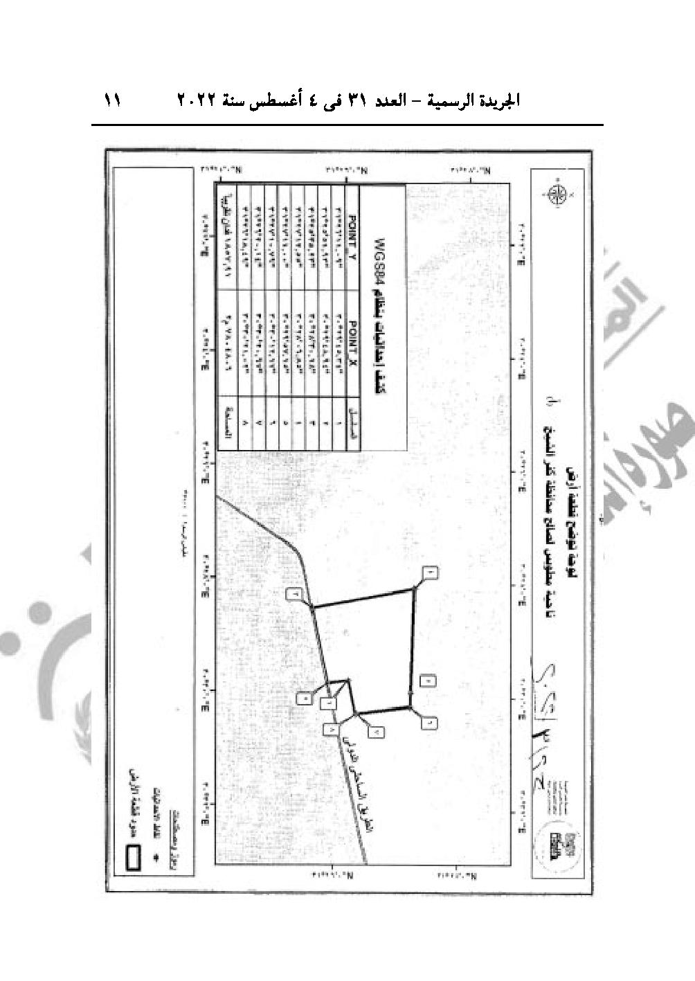
والقرار رقم 315 لسنة 2022 بتخصيص مساحة 5.05 فدان تقريبًا تعادل 2136 مترًا مربعًا من الأراضي المملوكة للدولة ملكية خاصة ناحية محافظة سوهاج، لاستخدامها في إقامة وحدة أبحاث علمية للطاقة المتجددة.
