الجريدة الرسمية تنشر قرارات مجلس الوزراء اليوم
نشرت الجريدة الرسمية في عددها رقم 19، الصادر في 17 مايو 2021، 3 قرارات لرئيس مجلس الوزراء الدكتور مصطفى مدبولي، بشأن اعتبار بعض المشروعات بالقاهرة وكفر الشيخ من أعمال المنفعة العامة.
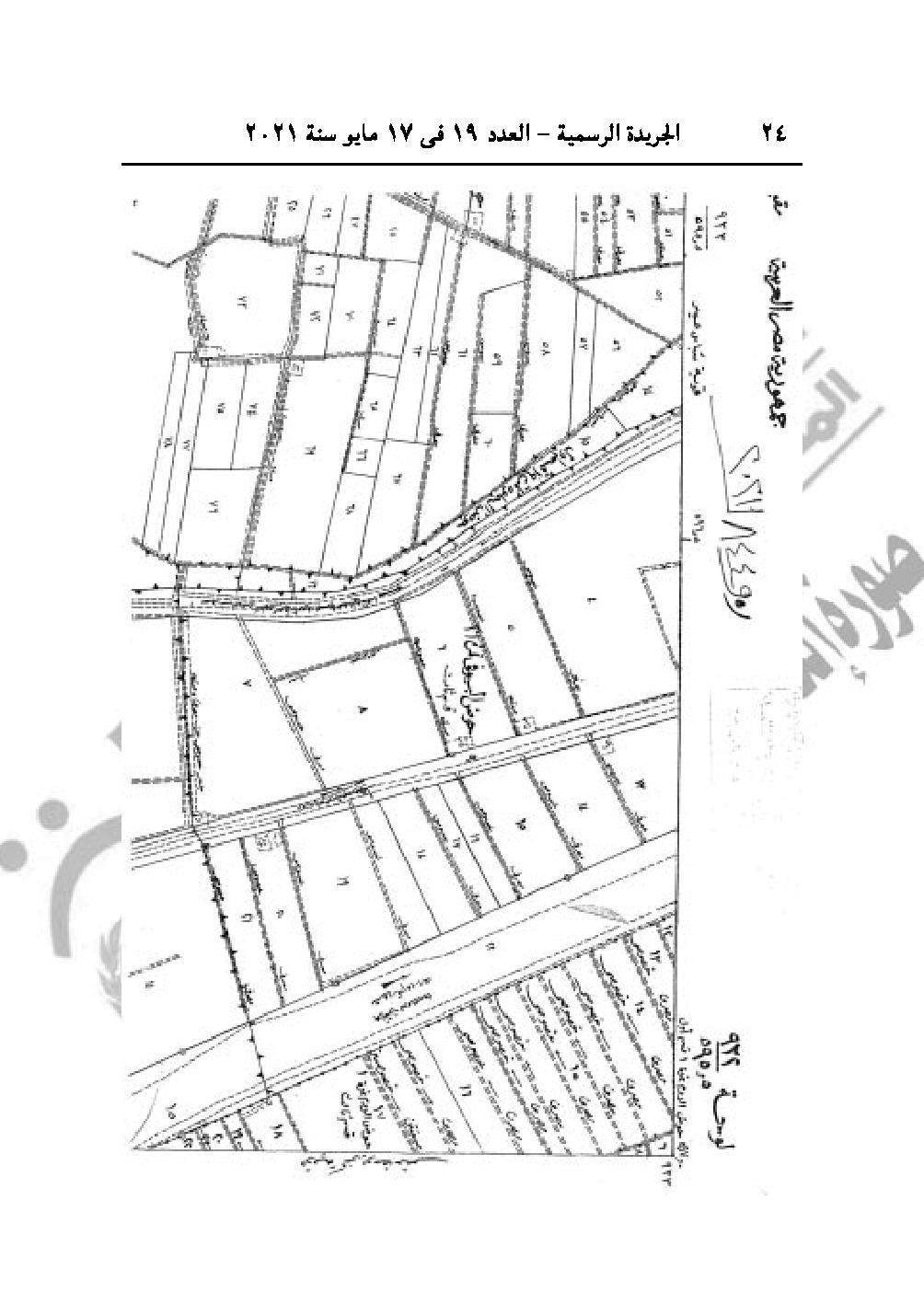
القرار رقم 843 لسنة 2021، باعتبار مشروع إقامة ساحة انتظار وسوق حضاري على قطعتي الأرض الكائنتين بمنطقة استراحات الدواجن، شارع السادات، حي السلام أول، بمحافظة القاهرة من أعمال المنفعة العامة.
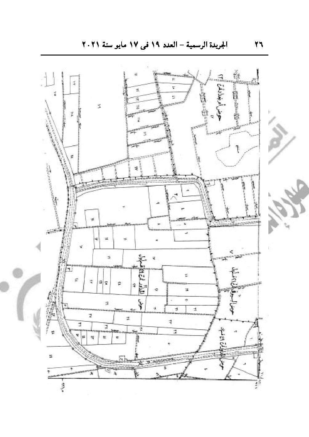
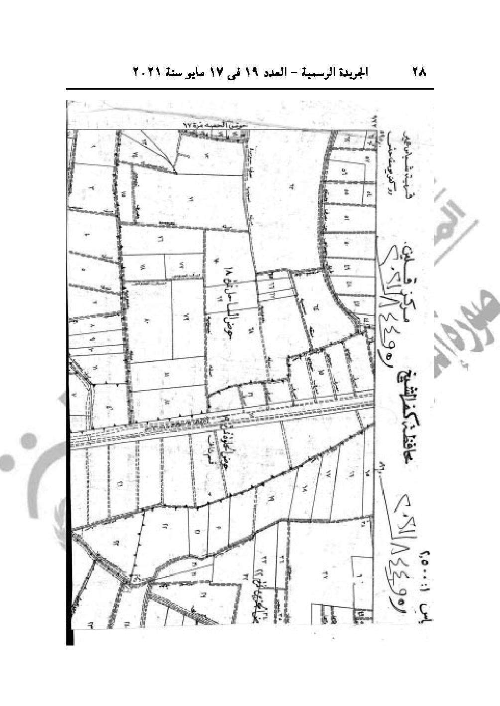
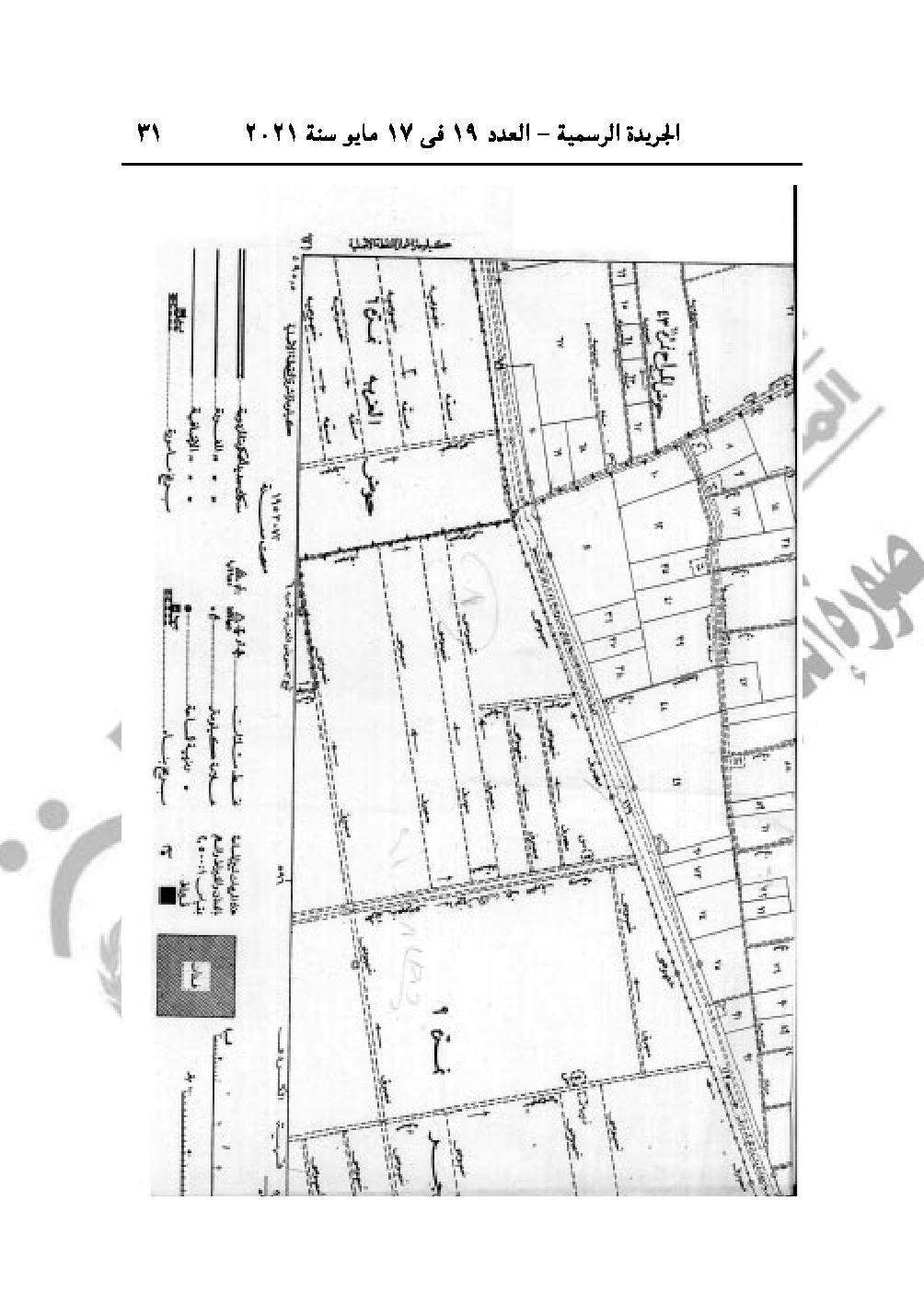
والقرار رقم 844 لسنة 2021، باعتبار مشروع توسعة محطة معالجة الصرف الصحي بناحية شباس عمير، مركز قلين، محافظة كفر الشيخ من أعمال المنفعة العامة.





















والقرار رقم 911 لسنة 2021، بتعيين الدكتورة ماريان أمير عازر، عضوًا من ذوي الخبرة بمجلس إدارة الهيئة العامة للرقابة المالية، وذلك للمدة المتبقية لمجلس الإدارة الصادر بإعادة تشكيله قرار رئيس مجلس الوزارء رقم 541 لسنة 2018.
القرار رقم 843 لسنة 2021، باعتبار مشروع إقامة ساحة انتظار وسوق حضاري على قطعتي الأرض الكائنتين بمنطقة استراحات الدواجن، شارع السادات، حي السلام أول، بمحافظة القاهرة من أعمال المنفعة العامة.
والقرار رقم 844 لسنة 2021، باعتبار مشروع توسعة محطة معالجة الصرف الصحي بناحية شباس عمير، مركز قلين، محافظة كفر الشيخ من أعمال المنفعة العامة.





















والقرار رقم 911 لسنة 2021، بتعيين الدكتورة ماريان أمير عازر، عضوًا من ذوي الخبرة بمجلس إدارة الهيئة العامة للرقابة المالية، وذلك للمدة المتبقية لمجلس الإدارة الصادر بإعادة تشكيله قرار رئيس مجلس الوزارء رقم 541 لسنة 2018.
